33
´ä
´ë±¸Áö¹æ¹ý¿ø ±èõÁö¿ø
 °¨Á¤°¡606,002,400 ¿ø
 ÃÖÀú°¡(100%) 606,003,000 ¿ø
 º¸Áõ±Ý(10%) 60,600,300 ¿ø
 Ã»±¸¾×432,560,675 ¿ø
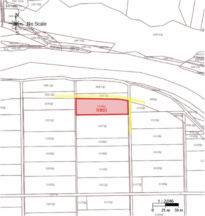
°æ»óºÏµµ ±¸¹Ì½Ã ±¸Æ÷µ¿ 1106
»ç°Ç¹øÈ£ 2025Ÿ°æ260
°æ¸ÅÁ¾·ùºÎµ¿»êÀÓÀǰæ¸Å
¸Å°¢´ë»óÅäÁö¸Å°¢
¸Å°¢±âÀÏ    2025.12.17(¼ö) 10:00 ÀÔÂû 9ÀÏÀü    
ÅäÁö¸éÀû2,970.60§³(898.61 Æò)
°Ç¹°¸éÀû
乫/¼ÒÀ¯ÀÚÀÌOO / ÀÌOO
ä±ÇÀÚÀÎOOOOOOO
±è¼ºÈÆ ´ëÇ¥ÀÌ»ç
°øÀÎÁß°³»ç, ºÎµ¿»ê°ø°æ¸Å»ç, ÇѾç´ëÇб³ Á¹¾÷
Àü) ÅÂÀÎÄÁ¼³ÆÃ(ÁÖ) ´ëÇ¥ÀÌ»ç
Àü) ¿©ÀÇÁֺε¿»êÁß°³¹ýÀÎ(ÁÖ) ´ëÇ¥ÀÌ»ç
Çö) ¿©ÀÇÁÖ°æ¸Å¹ýÀÎ ´ëÇ¥ÀÌ»ç
010-2371-3237
ÆäÀ̽ººÏ Æ®À§ÅÍ ±¸±Û+
īī¿À½ºÅ丮
īī¿ÀÅå sms¹®ÀÚº¸³»±â
 

±âÀϳ»¿ª

°æ°ú ³¯Â¥ Àú°¨ ÃÖÀú°¡ °á°ú
Á¢¼öÀÏ 2025-01-31 °æ¸ÅÁ¢¼ö
~6ÀÏ 
2025-02-06 °æ¸Å°³½Ã°áÁ¤
~101ÀÏ 
2025-05-12 ¹è´ç¿ä±¸Á¾±âÀÏ
~320ÀÏ 
2025-12-17 100%
606,003,000
ÁøÇà
¹°°Ç¸í¼¼¼­ ÇöȲÁ¶»ç¼­ ¹®°ÇÁ¢¼ö ¼Û´Þ³»¿ª

°¨Á¤Æò°¡ÇöȲ

¸ñ·Ï ÁÖ¼Ò ±¸Á¶/¿ëµµ/´ëÁö±Ç ¸éÀû ºñ°í
ÅäÁö
±¸Æ÷µ¿ 1106 ´ä 2970.6 §³
(898.61Æò)
1) À§Ä¡/ÀÚ¿¬³ìÁöÁö¿ª ´õº¸±â
°¨Á¤Æò°¡ ¿äÇ×Ç¥
1)À§Ä¡ ¹× ÁÖÀ§È¯°æ
º»°ÇÀº °æ»óºÏµµ ±¸¹Ì½Ã ±¸Æ÷µ¿ ¼ÒÀç ""±¸Æ÷»ýȰüÀ°°ø¿ø"" ºÏ¼­Ãø Àαٿ¡ À§Ä¡ÇÏ´Â ¹Ù, ÀαÙÀÏ´ë´Â ³ó°æÁö ¹× ÀÓ¾ß µîÀ¸·Î Çü¼ºµÇ¾î ÀÖÀ¸¸ç ÁÖÀ§È¯°æÀº º¸Åë½ÃµÊ.
2)±³Åë»óȲ
º»°Ç±îÁö Â÷·® Á¢±Ù °¡´ÉÇϸç ÀαÙÀÇ µµ·Î¿©°Ç µîÀ¸·Î º¸¾Æ Á¦¹Ý ±³Åë»çÁ¤Àº º¸ÅëÀÓ.
3)ÇüÅ ¹× ÀÌ¿ë»óÅÂ
ÀÎÁ¢Áö ´ëºñ µî°íÆòźÇÑ °¡ÀåÇüÀÇ ÅäÁö·Î¼­, ""´ä""À¸·Î ÀÌ¿ëÁßÀÓ.
4)ÀÎÁ¢ µµ·Î»óÅÂ
º»°Ç µ¿Ãø ¹× ºÏÃøÀ¸·Î Æø ¾à 2-3M ³»¿ÜÀÇ Æ÷Àåµµ·Î¿Í Á¢ÇÔ.
5)ÅäÁöÀÌ¿ë°èȹ ¹× Á¦ÇÑ»óÅÂ
ÀÚ¿¬³ìÁöÁö¿ª °¡Ãà»çÀ°Á¦Çѱ¸¿ª(2024-11-20)(¸ðµçÃàÁ¾Á¦Çѱ¸¿ª(ȯ°æ°ü¸®°ú¹®ÀÇ))<°¡ÃàºÐ´¢ÀÇ °ü¸® ¹× À̿뿡 °üÇÑ ¹ý·ü>
6)Á¦½Ã¸ñ·Ï ¿ÜÀÇ ¹°°Ç
-


7)°øºÎ¿ÍÀÇ Â÷ÀÌ
-
8)±âŸÂü°í»çÇ×(ÀÓ´ë°ü·Ê ¹× ±âŸ)
ÀÓ´ë°ü°è´Â ¹Ì»óÀÓ.
Âü°í
»çÇ×
³óÁöÃëµæÀÚ°ÝÁõ¸í Á¦Ãâ¿äÇÔ(¹ÌÁ¦Ãâ½Ã º¸Áõ±Ý ¹Ì¹Ýȯ)
º»°ÇÀº °ø


±¹ÅäºÎ½Ç°Å·¡°¡ °æ»óºÏµµ ±¸¹Ì½Ã ±¸Æ÷µ¿

°è¾àÀÏÁö¸ñ¿ëµµÁö¿ªµµ·Î°è¾à¸éÀû±Ý¾×±¸ºÐ
25.09.18ÀüÀÚ¿¬³ìÁö8m¹Ì¸¸240054,000
25.09.18ÀüÀÚ¿¬³ìÁö-154436,000
25.09.18´äÀÚ¿¬³ìÁö8m¹Ì¸¸62914,600
25.09.18´äÀÚ¿¬³ìÁö8m¹Ì¸¸801,800
25.09.18´äÀÚ¿¬³ìÁö8m¹Ì¸¸1824,200
¢Ñ ´õº¸±â

µî±âºÎµîº» ¿ä¾à(ÅäÁö)

  Á¢¼öÀÏÀÚ µî±â¸ñÀû/±Ç¸®ÀÚ ±Ç¸®±Ý¾× ±âÁØ
1 2016³â1¿ù5ÀÏ
¼ÒÀ¯±Ç
ÀÌOO
¼Ò¸ê
2 2017³â1¿ù13ÀÏ
±ÙÀú´ç±Ç
ÀÎOOOO
120,000,000 ¼Ò¸ê±âÁØ
3 2018³â2¿ù20ÀÏ
±ÙÀú´ç±Ç
ÀÎOOOO
240,000,000 ¼Ò¸ê
4 2019³â11¿ù22ÀÏ
±ÙÀú´ç±Ç
ÀÎOOOO
19,200,000 ¼Ò¸ê
5 2021³â8¿ù12ÀÏ
±ÙÀú´ç±Ç
ÀÎOOOO
57,600,000 ¼Ò¸ê
6 2025³â2¿ù7ÀÏ
ÀÓÀǰæ¸Å
ÀÎOOOO
¼Ò¸ê

ÀÓÂ÷ÀÎÇöȲ (¹è´ç¿ä±¸Á¾±âÀÏ: 2025-05-12)



¸Å°¢±âÀÏ 7ÀÏÀü¿¡ °ø°íµÇ¿À´Ï È®ÀÎÇϽñ⠹ٶø´Ï´Ù.


¿©ÀÇÁÖ°æ¸Å Á¶¾ð ÇÑ ¸¶µð

³«Âû ÈÄ¿¡ µî±âºÎ»ó ¼Ò¸êµÇÁö ¾Ê´Â ±Ç¸®´Â ¾ø½À´Ï´Ù.
´ë·«ÀûÀÎ °ËÅäÀǰßÀ̹ǷΠÀÔÂûÀü¿¡ Àü¹®°¡ÀÇ Á¶¾ðÀ» Âü°íÇØ º¸½Ã±æ ±ÇÇØµå¸³´Ï´Ù.
³óÁöÃëµæÀÚ°ÝÁõ¸í¿ø Á¦ÃâÀ» Á¶°ÇÀ¸·Î ÇÏ´Â ¹°°ÇÀÔ´Ï´Ù.
°¨Á¤ ½ÃÁ¡ÀÌ ¿À·¡µÇ¾î °¡°Ýº¯µ¿ÀÌ ÀÖÀ» ¼ö ÀÖ½À´Ï´Ù.
ÀÌ ¹°°ÇÀº 2025³â 2¿ù 6ÀÏ¿¡ °æ¸Å°¡ °³½ÃµÇ¾ú´Âµ¥ Áö±Ý ½ÃÁ¡À¸·Î ¾à 305ÀÏÀÌ ÀÌ °æ°úµÇ¾ú½À´Ï´Ù. °¨Á¤°¡°ÝÀº 305ÀÏ Àü ½ÃÁ¡¿¡¼­ Æò°¡ÇÑ °¡°ÝÀ̹ǷΠ±× »çÀÌ °¡°Ýº¯µ¿ÀÌ ÀÖÀ» ¼ö ÀÖ½À´Ï´Ù. ƯÈ÷ °¡°Ý º¯µ¿ÀÌ ½ÉÇÑ ¾ÆÆÄÆ®´Â À¯ÀÇÇÏ¼Å¾ß ÇÕ´Ï´Ù. °¨Á¤°¡°ÝÀ» ³Ê¹« ¹ÏÁö ¸¶½Ã°í ÇöÀç ½Ç¸Å¹° °¡°Ý°ú ½Ç°Å·¡°¡¸¦ È®ÀÎÇϽñ⠹ٶø´Ï´Ù.
°£È¤ °¨Á¤°¡°Ýº¸´Ù ³ô°Ô ³«ÂûµÇ´Â °æ¿ì°¡ Àִµ¥ ´ëºÎºÐ ÀÌ·± ÀÌÀ¯ÀÔ´Ï´Ù.
¡Ø ¹°°Ç Ű¿öµå : ³ìÁöÁö¿ª/ÀÚ¿¬³ìÁöÁö¿ª
Àüü ÄÁ¼³ÆÃÀÌ ºÎ´ã½º·¯¿ì½Å°¡¿ä? ±Ç¸®ºÐ¼®¸¸ ÀÇ·ÚÇϼŵµ ±¦Âú½À´Ï´Ù!
½Ç¼Ó ÀÖ°Ô Çٽɸ¸ ´ãÀº ±Ç¸®ºÐ¼® ¼­ºñ½º!! (±Ç¸®ºÐ¼® + ½Ã¼¼Á¶»ç + ³«Âû°¡ »êÁ¤ + ÀÔÂûÇ¥ ÀÛ¼º¹æ¹ý ±îÁö)
ÃÖ´ë Àüü ÄÁ¼³ÆÃ ºñ¿ëÀÇ 10% ¼öÁØ !!

ÁÖÀÇ»çÇ× (ÃÖ¼±¼øÀ§ ¼³Á¤ÀÏ: 2017.01.13. ±ÙÀú´ç±Ç ¼³Á¤)

¸Å°¢À¸·Î ¼Ò¸êµÇÁö ¾Ê´Â µî±âºÎ±Ç¸®:
¸Å°¢À¸·Î ¼³Á¤µÈ °ÍÀ¸·Î º¸´Â Áö»ó±Ç:
³óÁöÃëµæÀÚ°ÝÁõ¸í Á¦Ãâ¿äÇÔ(¹ÌÁ¦Ãâ½Ã º¸Áõ±Ý ¹Ì¹Ýȯ)
¡Ø¹Ì³³°ü¸®ºñ(°ø¿ë) Àμö¿©ºÎ¸¦ ÀÔÂû Àü¿¡ È®ÀÎÇϽñ⠹ٶø´Ï´Ù

 

Áö¿ªºÐ¼®

ÁöÇÏö¸í Á÷¼±°Å¸®

Çб³¸í ÀüÈ­¹øÈ£ ÁÖ¼Ò Á÷¼±°Å¸®

¹ý¿ø

´ë±¸Áö¹æ¹ý¿ø ±èõÁö¿ø (395-18)°æ»óºÏµµ ±èõ½Ã ¹°¸Á°ñ±æ 39 (»ï¶ôµ¿ 1225)
´ëÇ¥ : 054)420-2114, ¹Î¿ø : 054)420-2071, ¾ß°£ : 054)420-2115
°üÇÒÁö¿ª : ±èõ½Ã, ±¸¹Ì½Ã

µî±â¼Ò ´ë±¸Áö¹æ¹ý¿ø º»¿ø ±¸¹Ìµî±â¼Ò (´ëÇ¥:1544-0773, ÆÑ½º:(054)457-4253, °æºÏ ±¸¹Ì½Ã ºÀ°î·Î10±æ 5-8 (ºÀ°îµ¿ 420))
¼¼¹«¼­ ±¸¹Ì¼¼¹«¼­ (´ëÇ¥:054-468-42, ÆÑ½º:054-464-0537, °æ»óºÏµµ ±¸¹Ì½Ã ¼öÃâ´ë·Î 179 (°ø´Üµ¿))

Àαٳ«ÂûÅë°è

±â°£ ¸Å°¢°Ç¼ö Æò±Õ°¨Á¤°¡
Æò±Õ¸Å°¢°¡
¸Å°¢°¡À²
Æò±ÕÀ¯Âû¼ö
3°³¿ù 18°Ç 168,924,700¿ø
69,700,112¿ø
45%
3.2ȸ
6°³¿ù 34°Ç 131,308,812¿ø
56,225,439¿ø
48%
2.8ȸ
12°³¿ù 42°Ç 153,218,031¿ø
67,326,900¿ø
48%
2.8ȸ


º» °æ¸ÅÁ¤º¸´Â ¹ý¿øÀÚ·á¿Í ÀÏÄ¡Çϵµ·Ï ÇÏ¿´À¸³ª ±Ç¸®»çÇ׺¯µ¿, ÀÔ·ÂÂø¿À µîÀÇ ¿øÀÎÀ¸·Î »ç½Ç°ú ´Ù¸¦ ¼ö ÀÖ½À´Ï´Ù. ÀÌ¿ë¾à°ü¿¡ ÀǰЏéÃ¥Á¶°ÇÀ¸·Î Á¦°øµÊÀ» ¾Ë¸®¸ç, °æ¸ÅÀÔÂû½Ã ¹Ýµå½Ã °ü·Ã °øºÎ¸¦ ÀçÈ®ÀÎÇϽñ⠹ٶø´Ï´Ù. º¸´Ù Æí¸®ÇÑ °æ¸ÅÁ¤º¸ Á¦°øÀ» À§ÇØ Áö¼ÓÀûÀ¸·Î °³¼±ÇϰڽÀ´Ï´Ù. ÀÌ¿ëÇØ Áּż­ °¨»çÇÕ´Ï´Ù.
°ü½É¹°°ÇÀ¸·Î µî·ÏÇÕ´Ï´Ù