66
´ä
ûÁÖÁö¹æ¹ý¿ø
 °¨Á¤°¡33,649,000 ¿ø
 ÃÖÀú°¡(70%) 23,554,000 ¿ø
 º¸Áõ±Ý(10%) 2,355,400 ¿ø
 Ã»±¸¾×11,789,960 ¿ø
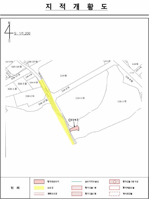
ÃæÃ»ºÏµµ ÁõÆò±º ÁõÆòÀ¾ ÃÊÁ߸® 114-7
»ç°Ç¹øÈ£ 2025Ÿ°æ51569
°æ¸ÅÁ¾·ùºÎµ¿»ê°­Á¦°æ¸Å
¸Å°¢´ë»óÅäÁö¸Å°¢
¸Å°¢±âÀÏ    2026.01.08(¸ñ) 10:00 ÀÔÂû 25ÀÏÀü    
ÅäÁö¸éÀû77.00§³(23.29 Æò)
°Ç¹°¸éÀû
乫/¼ÒÀ¯ÀÚÀÏOOOOO OOOO / ÀÏOOOOO OOOO
ä±ÇÀÚ±èOO
±è¼ºÈÆ ´ëÇ¥ÀÌ»ç
°øÀÎÁß°³»ç, ºÎµ¿»ê°ø°æ¸Å»ç, ÇѾç´ëÇб³ Á¹¾÷
Àü) ÅÂÀÎÄÁ¼³ÆÃ(ÁÖ) ´ëÇ¥ÀÌ»ç
Àü) ¿©ÀÇÁֺε¿»êÁß°³¹ýÀÎ(ÁÖ) ´ëÇ¥ÀÌ»ç
Çö) ¿©ÀÇÁÖ°æ¸Å¹ýÀÎ ´ëÇ¥ÀÌ»ç
010-2371-3237
ÆäÀ̽ººÏ Æ®À§ÅÍ ±¸±Û+
īī¿À½ºÅ丮
īī¿ÀÅå sms¹®ÀÚº¸³»±â
 

±âÀϳ»¿ª

°æ°ú ³¯Â¥ Àú°¨ ÃÖÀú°¡ °á°ú
Á¢¼öÀÏ 2025-07-28 °æ¸ÅÁ¢¼ö
~1ÀÏ 
2025-07-29 °æ¸Å°³½Ã°áÁ¤
~91ÀÏ 
2025-10-27 ¹è´ç¿ä±¸Á¾±âÀÏ
~129ÀÏ 
2025-12-04 100%
33,649,000
À¯Âû
~164ÀÏ 
2026-01-08 70%
23,554,000
ÁøÇà
¹°°Ç¸í¼¼¼­ ÇöȲÁ¶»ç¼­ ¹®°ÇÁ¢¼ö ¼Û´Þ³»¿ª

°¨Á¤Æò°¡ÇöȲ

¸ñ·Ï ÁÖ¼Ò ±¸Á¶/¿ëµµ/´ëÁö±Ç ¸éÀû ºñ°í
ÅäÁö
ÃÊÁ߸® 114-7 ´ä 77 §³
(23.29Æò)
1) À§Ä¡/½Ã³»¹ö½ºÁ¤·ùÀå/Â÷·®ÀÇ Á¢±ÙÀÌ °¡´É/°£¼±µµ·Î ´õº¸±â
°¨Á¤Æò°¡ ¿äÇ×Ç¥
1)À§Ä¡ ¹× ÁÖÀ§È¯°æ
º»°ÇÀº ÃæÃ»ºÏµµ ÁõÆò±º ÁõÆòÀ¾ ¼ÒÀç ""ÃæºÏºñÁî´Ï½º°íµîÇб³"" ³²¼­Ãø Àαٿ¡ À§Ä¡Çϸç, ÁÖÀ§·Î´Â Àü, ´ä µîÀÇ ³ó°æÁö¿Í ´Üµ¶ÁÖÅà µîÀÌ È¥ÀçÇÔ.

2)±³Åë»óȲ
º»°Ç ÀαٱîÁö Á¦¹Ý Â÷·®ÀÇ Á¢±ÙÀÌ °¡´ÉÇÏ¸ç ºÏ¼­Ãø Àα٠Á߾ӷθ¦ ÅëÇØ ÁÖ¿ä °£¼±µµ·ÎÀÎ ÃæÃ»´ë·Î¿Í ¿¬°èµÇ¾î ÁõÆò±º ¹× ûÁֽà µîÀÇ Àα٠Áö¿ªÀ¸·ÎÀÇ À̵¿ÀÌ ¿ëÀÌÇϸç, Àα٠³ëº¯¿¡ ½Ã³»¹ö½ºÁ¤·ùÀåÀÌ ¼ÒÀçÇÔ.

3)ÇüÅ ¹× ÀÌ¿ë»óÅÂ
ºÎÁ¤ÇüÀÇ ÅäÁö·Î¼­ ÁְųªÁö·Î ÀÌ¿ëÁßÀÓ.

4)ÀÎÁ¢ µµ·Î»óÅÂ
¼­ÃøÀ¸·Î ³ëÆø ¾à 4mÀÇ ÄÜÅ©¸®Æ® Æ÷Àåµµ·Î¿Í Á¢Çϳª, °íÀúÂ÷·Î Â÷·®ÀÇ ÁøÃâÀÔÀº ¾î·Á¿ò.

5)ÅäÁöÀÌ¿ë°èȹ ¹× Á¦ÇÑ»óÅÂ
º»°Ç ÀαٱîÁö Á¦¹Ý Â÷·®ÀÇ Á¢±ÙÀÌ °¡´ÉÇÏ¸ç ºÏ¼­Ãø Àα٠Á߾ӷθ¦ ÅëÇØ ÁÖ¿ä °£¼±µµ·ÎÀÎ ÃæÃ»´ë·Î¿Í ¿¬°èµÇ¾î ÁõÆò±º ¹× ûÁֽà µîÀÇ Àα٠Áö¿ªÀ¸·ÎÀÇ À̵¿ÀÌ ¿ëÀÌÇϸç, Àα٠³ëº¯¿¡ ½Ã³»¹ö½ºÁ¤·ùÀåÀÌ ¼ÒÀçÇÔ.

6)Á¦½Ã¸ñ·Ï ¿ÜÀÇ ¹°°Ç
ÇØ´ç»çÇ× ¾øÀ½.

7)°øºÎ¿ÍÀÇ Â÷ÀÌ
ÇØ´ç»çÇ× ¾øÀ½.

8)±âŸÂü°í»çÇ×(ÀÓ´ë°ü·Ê ¹× ±âŸ)
º»°Ç ÅäÁö´Â ÀÎÁ¢Áö¿ÍÀÇ °æ°è°¡ ºÒºÐ¸íÇѹ٠Á¤È®ÇÑ °æ°è ¹× À§Ä¡È®ÀÎÀº º°µµÀÇ Ãø·®À» ¿äÇÔ.

Âü°í
»çÇ×
³óÁöÃëµæÀÚ°ÝÁõ¸í ºÒÇÊ¿ä.
-. ÇöȲ ÀüÀ̸ç


±¹ÅäºÎ½Ç°Å·¡°¡ ÃæÃ»ºÏµµ ÁõÆò±º ÁõÆòÀ¾ ÃÊÁ߸®

°è¾àÀÏÁö¸ñ¿ëµµÁö¿ªµµ·Î°è¾à¸éÀû±Ý¾×±¸ºÐ
25.11.17´ëÁ¦2Á¾ÀϹÝÁÖ°Å12m¹Ì¸¸214.48,200
25.11.11´äÀÚ¿¬³ìÁö-151716,520
25.11.03´ëÀϹݻó¾÷12m¹Ì¸¸6.511,000ÁöºÐ
25.09.05ÀüÁ¦2Á¾ÀϹÝÁÖ°Å12m¹Ì¸¸242179,527
25.09.05ÀüÁ¦2Á¾ÀϹÝÁÖ°Å12m¹Ì¸¸65921,647
¢Ñ ´õº¸±â

µî±âºÎµîº» ¿ä¾à(ÅäÁö)

  Á¢¼öÀÏÀÚ µî±â¸ñÀû/±Ç¸®ÀÚ ±Ç¸®±Ý¾× ±âÁØ
1
¼Ò¸ê
2 2025³â7¿ù23ÀÏ
¾Ð·ù
¾ÈOO
¼Ò¸ê±âÁØ
3 2024³â5¿ù23ÀÏ
¼ÒÀ¯±Ç
ÀÏOOOO
¼Ò¸ê
4 2024³â6¿ù5ÀÏ
°¡¾Ð·ù
½ÅOOOO
712,800,000 ¼Ò¸ê
5 2024³â7¿ù1ÀÏ
¾Ð·ù
ÇÑOOOO
¼Ò¸ê
6 2024³â9¿ù9ÀÏ
¾Ð·ù
±¹
¼Ò¸ê
7 2024³â10¿ù8ÀÏ
°¡¾Ð·ù
½ÅOOOO
10,000,000 ¼Ò¸ê
8 2024³â10¿ù16ÀÏ
¾Ð·ù
±¹
¼Ò¸ê
9 2024³â11¿ù20ÀÏ
¾Ð·ù
ûOO
¼Ò¸ê
10 2024³â12¿ù10ÀÏ
°¡¾Ð·ù
(OOOO
361,668,520 ¼Ò¸ê
11 2024³â12¿ù24ÀÏ
¾Ð·ù
ȍOO
¼Ò¸ê
12 2025³â1¿ù15ÀÏ
¾Ð·ù
±«OO
¼Ò¸ê
13 2025³â2¿ù20ÀÏ
¾Ð·ù
±¹OOOO
¼Ò¸ê
14 2025³â3¿ù7ÀÏ
¾Ð·ù
ûOO
¼Ò¸ê
15 2025³â3¿ù21ÀÏ
°¡¾Ð·ù
±ÙOOOO
995,429,830 ¼Ò¸ê
16 2025³â4¿ù1ÀÏ
¾Ð·ù
ÇÑOOOO
¼Ò¸ê
17 2025³â7¿ù29ÀÏ
°­Á¦°æ¸Å
±èOO
¼Ò¸ê
18 2025³â8¿ù28ÀÏ
¾Ð·ù
ÀÌOO
¼Ò¸ê
19 2025³â9¿ù29ÀÏ
¾Ð·ù
ÀÍOO
¼Ò¸ê
20 2025³â11¿ù18ÀÏ
¾Ð·ù
±¹
¼Ò¸ê

ÀÓÂ÷ÀÎÇöȲ (¹è´ç¿ä±¸Á¾±âÀÏ: 2025-10-27)


Á¶»çµÈ ÀÓÂ÷³»¿ªÀÌ ¾ø½À´Ï´Ù


¿©ÀÇÁÖ°æ¸Å Á¶¾ð ÇÑ ¸¶µð

³«Âû ÈÄ¿¡ µî±âºÎ»ó ¼Ò¸êµÇÁö ¾Ê´Â ±Ç¸®´Â ¾ø½À´Ï´Ù.
´ë·«ÀûÀÎ °ËÅäÀǰßÀ̹ǷΠÀÔÂûÀü¿¡ Àü¹®°¡ÀÇ Á¶¾ðÀ» Âü°íÇØ º¸½Ã±æ ±ÇÇØµå¸³´Ï´Ù.
³óÁöÃëµæÀÚ°ÝÁõ¸í¿ø Á¦ÃâÀ» Á¶°ÇÀ¸·Î ÇÏ´Â ¹°°ÇÀÔ´Ï´Ù.
¡Ø ¹°°Ç Ű¿öµå : ¹ö½ºÁ¤·ùÀå/½Ã³»¹ö½ºÁ¤·ùÀå/Â÷·®ÀÇ Á¢±ÙÀÌ °¡´É/°£¼±µµ·Î
Àüü ÄÁ¼³ÆÃÀÌ ºÎ´ã½º·¯¿ì½Å°¡¿ä? ±Ç¸®ºÐ¼®¸¸ ÀÇ·ÚÇϼŵµ ±¦Âú½À´Ï´Ù!
½Ç¼Ó ÀÖ°Ô Çٽɸ¸ ´ãÀº ±Ç¸®ºÐ¼® ¼­ºñ½º!! (±Ç¸®ºÐ¼® + ½Ã¼¼Á¶»ç + ³«Âû°¡ »êÁ¤ + ÀÔÂûÇ¥ ÀÛ¼º¹æ¹ý ±îÁö)
ÃÖ´ë Àüü ÄÁ¼³ÆÃ ºñ¿ëÀÇ 10% ¼öÁØ !!

ÁÖÀÇ»çÇ× (ÃÖ¼±¼øÀ§ ¼³Á¤ÀÏ: )

¸Å°¢À¸·Î ¼Ò¸êµÇÁö ¾Ê´Â µî±âºÎ±Ç¸®:
¸Å°¢À¸·Î ¼³Á¤µÈ °ÍÀ¸·Î º¸´Â Áö»ó±Ç:
³óÁöÃëµæÀÚ°ÝÁõ¸í ºÒÇÊ¿ä.
¡Ø¹Ì³³°ü¸®ºñ(°ø¿ë) Àμö¿©ºÎ¸¦ ÀÔÂû Àü¿¡ È®ÀÎÇϽñ⠹ٶø´Ï´Ù

 

Áö¿ªºÐ¼®

ÁöÇÏö¸í Á÷¼±°Å¸®

Çб³¸í ÀüÈ­¹øÈ£ ÁÖ¼Ò Á÷¼±°Å¸®

¹ý¿ø

ûÁÖÁö¹æ¹ý¿ø (286-24)ÃæÃ»ºÏµµ ûÁֽà ¼­¿ø±¸ »ê³²·Î 62¹ø±æ 51 (»ê³²µ¿)
´ëÇ¥ : 043)249-7114~5, ¹Î¿ø : 043)249-7465, ¾ß°£ : 043)249-7400
°üÇÒÁö¿ª : ûÁÖ½Ã, º¸Àº±º, ±«»ê±º, ÁõÆò±º, ÁøÃµ±º

µî±â¼Ò ûÁÖÁö¹æ¹ý¿ø º»¿ø ±«»êµî±â¼Ò (´ëÇ¥:1544-0773, ÆÑ½º:(043)832-2035, ÃæÃ»ºÏµµ ±«»ê±º ±«»êÀ¾ À¾³»·Î 5±æ 20 (µ¿ºÎ¸® 673-3))
¼¼¹«¼­ µ¿Ã»ÁÖ¼¼¹«¼­ (´ëÇ¥:043-229-42, ÆÑ½º:043-229-4601, ÃæÃ»ºÏµµ ûÁֽà û¿ø±¸ 1¼øÈ¯·Î 44(À²·®µ¿))

Àαٳ«ÂûÅë°è

±â°£ ¸Å°¢°Ç¼ö Æò±Õ°¨Á¤°¡
Æò±Õ¸Å°¢°¡
¸Å°¢°¡À²
Æò±ÕÀ¯Âû¼ö
3°³¿ù 7°Ç 99,898,143¿ø
43,508,086¿ø
55%
3ȸ
6°³¿ù 7°Ç 99,898,143¿ø
43,508,086¿ø
55%
3ȸ
12°³¿ù 10°Ç 116,191,980¿ø
57,783,560¿ø
57%
3.2ȸ


º» °æ¸ÅÁ¤º¸´Â ¹ý¿øÀÚ·á¿Í ÀÏÄ¡Çϵµ·Ï ÇÏ¿´À¸³ª ±Ç¸®»çÇ׺¯µ¿, ÀÔ·ÂÂø¿À µîÀÇ ¿øÀÎÀ¸·Î »ç½Ç°ú ´Ù¸¦ ¼ö ÀÖ½À´Ï´Ù. ÀÌ¿ë¾à°ü¿¡ ÀǰЏéÃ¥Á¶°ÇÀ¸·Î Á¦°øµÊÀ» ¾Ë¸®¸ç, °æ¸ÅÀÔÂû½Ã ¹Ýµå½Ã °ü·Ã °øºÎ¸¦ ÀçÈ®ÀÎÇϽñ⠹ٶø´Ï´Ù. º¸´Ù Æí¸®ÇÑ °æ¸ÅÁ¤º¸ Á¦°øÀ» À§ÇØ Áö¼ÓÀûÀ¸·Î °³¼±ÇϰڽÀ´Ï´Ù. ÀÌ¿ëÇØ Áּż­ °¨»çÇÕ´Ï´Ù.
°ü½É¹°°ÇÀ¸·Î µî·ÏÇÕ´Ï´Ù