96
´Ù¼¼´ë(ºô¶ó)
¼­¿ïºÏºÎÁö¹æ¹ý¿ø
 °¨Á¤°¡275,000,000 ¿ø
 ÃÖÀú°¡(80%) 220,000,000 ¿ø
 º¸Áõ±Ý(10%) 22,000,000 ¿ø
 Ã»±¸¾×280,000,000 ¿ø
¼­¿ïƯº°½Ã °­ºÏ±¸ ¼öÀ¯µ¿ 49-70 ºôµå¾Æ¸£¶¼ ºñµ¿ 4Ãþ 402È£
»ç°Ç¹øÈ£ 2025Ÿ°æ11972
°æ¸ÅÁ¾·ùºÎµ¿»ê°­Á¦°æ¸Å
¸Å°¢´ë»óÅäÁö ¹× °Ç¹°Àϰý ¸Å°¢
¸Å°¢±âÀÏ    2025.12.16(È­) 10:00 ÀÔÂû 8ÀÏÀü    
ÅäÁö¸éÀû17.02§³(5.15 Æò)
°Ç¹°¸éÀû30.06§³(9.09 Æò)
乫/¼ÒÀ¯ÀÚÀÌOO / ÀÌOO
ä±ÇÀÚÁÖOOOOOOO
±è¼ºÈÆ ´ëÇ¥ÀÌ»ç
°øÀÎÁß°³»ç, ºÎµ¿»ê°ø°æ¸Å»ç, ÇѾç´ëÇб³ Á¹¾÷
Àü) ÅÂÀÎÄÁ¼³ÆÃ(ÁÖ) ´ëÇ¥ÀÌ»ç
Àü) ¿©ÀÇÁֺε¿»êÁß°³¹ýÀÎ(ÁÖ) ´ëÇ¥ÀÌ»ç
Çö) ¿©ÀÇÁÖ°æ¸Å¹ýÀÎ ´ëÇ¥ÀÌ»ç
010-2371-3237
ÆäÀ̽ººÏ Æ®À§ÅÍ ±¸±Û+
īī¿À½ºÅ丮
īī¿ÀÅå sms¹®ÀÚº¸³»±â
 

±âÀϳ»¿ª

°æ°ú ³¯Â¥ Àú°¨ ÃÖÀú°¡ °á°ú
Á¢¼öÀÏ 2025-02-20 °æ¸ÅÁ¢¼ö
~1ÀÏ 
2025-02-21 °æ¸Å°³½Ã°áÁ¤
~96ÀÏ 
2025-05-27 ¹è´ç¿ä±¸Á¾±âÀÏ
~271ÀÏ 
2025-11-18 100%
275,000,000
À¯Âû
~299ÀÏ 
2025-12-16 80%
220,000,000
ÁøÇà
¹°°Ç¸í¼¼¼­ ÇöȲÁ¶»ç¼­ ¹®°ÇÁ¢¼ö ¼Û´Þ³»¿ª

°¨Á¤Æò°¡ÇöȲ

¸ñ·Ï ÁÖ¼Ò ±¸Á¶/¿ëµµ/´ëÁö±Ç ¸éÀû ºñ°í
´ëÁö±Ç
¼öÀ¯µ¿ 49-70 632.4ºÐÀÇ 17.02 17.02 §³
(5.15Æò)
°Ç¹°
¼öÀ¯µ¿ 49-70 ºñµ¿ 4Ãþ 402È£ ö±ÙÄÜÅ©¸®Æ®±¸Á¶ 30.06 §³
(9.09Æò)
1) À§Ä¡/µµ½ÃÁö¿ª/°ü¸®Áö¿ª/Á¦3Á¾ÀϹÝÁÖ°ÅÁö¿ª/ÁöÇÏö/Â÷·® Á¢±ÙÀÌ °¡´É/³ë¼±¹ö½º Á¤·ùÀå/ö±ÙÄÜÅ©¸®Æ®±¸Á¶ ´õº¸±â
°¨Á¤Æò°¡ ¿äÇ×Ç¥
1)À§Ä¡ ¹× ÁÖÀ§È¯°æ
º»°ÇÀº ¼­¿ïƯº°½Ã °­ºÏ±¸ ¼öÀ¯µ¿ ¼ÒÀç ""¼öÀ¯ÃʵîÇб³"" ºÏÃø Àαٿ¡ À§Ä¡¸ç ÁÖÀ§´Â ´Üµ¶ÁÖÅÃ
´Ù¼¼´ëÁÖÅÃ, Á¡Æ÷, ±Ù¸°»ýȰ½Ã¼³ µîÀÌ È¥ÀçÇÏ´Â Áö¿ªÀÓ.
2)±³Åë»óȲ
º»°Ç±îÁö Â÷·® Á¢±ÙÀÌ °¡´ÉÇϰí, ³ë¼±¹ö½º Á¤·ùÀå, ÁöÇÏö¿ª°úÀÇ Á¢±Ù¼º µîÀ¸·Î º¸¾Æ ´ëÁß±³
Åë ÀÌ¿ëÀÇ ÆíÀǵµ´Â ¾çÈ£ÇÔ.
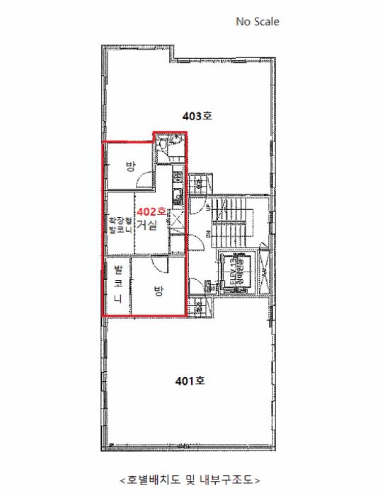
3)°Ç¹°ÀÇ ±¸Á¶
ö±ÙÄÜÅ©¸®Æ®±¸Á¶ Æò½½¶óºêÁöºØ 6Ãþ °Ç³» 4Ãþ 402È£·Î¼­,
¿Üº® : ¼®Àç ¸¶°¨,
âȣ : ¼¦½Ã ÀÌÁß Ã¢ÀÓ.
4)ÀÌ¿ë»óÅÂ
´ÜÁöÇü´Ù¼¼´ëÁÖÅÃ(º°Ã· '³»ºÎ±¸Á¶µµ' ÂüÁ¶)À¸·Î ÀÌ¿ëÁßÀÓ.
5)¼³ºñ³»¿ª
À§»ý ¹× ±Þ¡¤¹è¼ö¼³ºñ, ³­¹æ¼³ºñ, ¼ÒÈ­¼³ºñ, ½Â°­±â¼³ºñ µîÀÌ µÇ¾î ÀÖÀ½.
6)ÅäÁöÀÇ Çü»ó ¹× ÀÌ¿ë»óÅÂ
¼¼ÀåÇüÀÇ ÆòźÇÑ ÅäÁö·Î µµ½ÃÇü»ýȰÁÖÅÃ(´ÜÁöÇü´Ù¼¼´ëÁÖÅÃ) °ÇºÎÁö ÀÓ.
7)ÀÎÁ¢ µµ·Î»óŵî
º»°ÇÀº ºÏ¼­Ãø, ºÏµ¿Ãø ¹× ³²¼­ÃøÀ¸·Î ¼¼·Î¿Í Á¢ÇÔ.
8)ÅäÁöÀÌ¿ë°èȹ ¹× Á¦ÇÑ»óÅÂ
µµ½ÃÁö¿ª, Á¦3Á¾ÀϹÝÁÖ°ÅÁö¿ª, °¡Ãà»çÀ°Á¦Çѱ¸¿ª<°¡ÃàºÐ´¢ÀÇ °ü¸® ¹× À̿뿡 °üÇÑ ¹ý·ü>, »ó
´ëº¸È£±¸¿ª(ÃÖÁ¾È®ÀÎÀº°üÇÒ±³À°Ã»¿¡È®ÀÎ)<±³À°È¯°æ º¸È£¿¡ °üÇÑ ¹ý·ü>, ´ë°ø¹æ¾îÇùÁ¶±¸¿ª
(77-257m)<±º»ç±âÁö ¹× ±º»ç½Ã¼³ º¸È£¹ý>, ¼Ò±Ô¸ðÁÖÅÃÁ¤ºñ °ü¸®Áö¿ª<ºóÁý ¹× ¼Ò±Ô¸ðÁÖÅà Á¤
ºñ¿¡ °üÇÑ Æ¯·Ê¹ý>, °ú¹Ð¾ïÁ¦±Ç¿ª<¼öµµ±ÇÁ¤ºñ°èȹ¹ý>.
9)°øºÎ¿ÍÀÇ Â÷ÀÌ
-.
10)±âŸÂü°í»çÇ×(ÀÓ´ë°ü·Ê ¹× ±âŸ)
ÀÓ´ë°ü°è´Â ¹Ì»óÀÓ.
Âü°í
»çÇ×

* Æó¹®ºÎÀç·Î ¼ÒÀ¯ÀÚ ¹× Á¡À¯ÀÚµéÀ» ¸¸³ªÁö ¸øÇÏ¿© ³ë

°ÇÃ๰ÇöȲ

¼ÒÀçÁö ¼­¿ïƯº°½Ã °­ºÏ±¸ ¼öÀ¯µ¿ 49-70¹øÁö
´ëÁö¸éÀû 632.4§³
(191.64Æò)
¿¬¸éÀû 659.58§³
(199.87Æò)
°ÇÃà¸éÀû 170.08§³
(51.54Æò)
¿ëÀû·ü»êÁ¤
¿¬¸éÀû
659.58§³
(199.87Æò)
°ÇÆóÀ² 26.89% ¿ëÀû·ü 104.3%
Áö»óÃþ¼ö 6Ãþ ÁöÇÏÃþ¼ö  
ÁÖ¿ëµµ °øµ¿ÁÖÅà ±¸Á¶ ö±ÙÄÜÅ©¸®Æ®±¸Á¶
Âø°øÀÏÀÚ 2018.10.02 »ç¿ë½ÂÀÎÀÏÀÚ 2019.04.09
°ÇÃ๰Ãþº°ÇöȲ [º¸±â]


±¹ÅäºÎ½Ç°Å·¡°¡ ¼­¿ïƯº°½Ã °­ºÏ±¸ ¼öÀ¯µ¿

¡Ü ¸Å¸Å

¸éÀû(§³), ±Ý¾×(¸¸¿ø)

¡Ü Àü¼¼

¸éÀû(§³), ±Ý¾×(¸¸¿ø)

°è¾àÀϰǹ°¸íĪÃþ¿¬¸éÀû´ëÁö±Ý¾×°ÇÃà
24.03.30µå¸²Å¸¿î¥±443.9522.02116,0002002
24.03.30¼º¿ì½ºÅ¸ÆÓ¸®½º6µ¿252.3528.905429,0002014
24.03.30°ñµçºô229.9920.90317,5002016
24.03.30¿¹¿òÇϿ콺529.9918.921,7002023
24.03.29ÁøÁÖ(C)-126.3125.628,3001990
¢Ñ ´õº¸±â

µî±âºÎµîº» ¿ä¾à(°Ç¹°)

  Á¢¼öÀÏÀÚ µî±â¸ñÀû/±Ç¸®ÀÚ ±Ç¸®±Ý¾× ±âÁØ
1 2020³â5¿ù13ÀÏ
¼ÒÀ¯±Ç
ÀÌOO
¼Ò¸ê
2 2022³â6¿ù13ÀÏ
¾Ð·ù
±¹
¼Ò¸ê±âÁØ
3 2024³â5¿ù10ÀÏ
ÀÓÂ÷±Ç¼³Á¤
Á¤OO
280,000,000 ¼Ò¸ê
4 2024³â10¿ù11ÀÏ
¾Ð·ù
¼­OOOO
¼Ò¸ê
5 2025³â2¿ù17ÀÏ
¾Ð·ù
±¹
¼Ò¸ê
6 2025³â2¿ù21ÀÏ
°­Á¦°æ¸Å
ÁÖOOOO
¼Ò¸ê

ÀÓÂ÷ÀÎÇöȲ (¹è´ç¿ä±¸Á¾±âÀÏ: 2025-05-27)

ÀÓÂ÷ÀÎ ¿ëµµ/Á¡À¯ º¸Áõ±Ý/¿ù¼¼ ´ëÇ×·Â
ÀüÀÔÀÏ/È®Á¤ÀÏ ¹è´ç¿ä±¸ ºñ°í
Á¤OO Á¦4ÃþÁ¦402È£ÀüºÎ 280,000,000
O
2022.4.29.
2022.4.6.
2022.5.1.
ÁÖOOOOOOOOOOOOOOOOOO Á¦4ÃþÁ¦402È£ÀüºÎ 280,000,000
O
2022.4.29.
2022.4.6.
2025.4.29. 2022.5.1.~2024.4.30.
ÇÑOO ºñµ¿4Ãþ402È£ ¹Ì»ó
[¿ù]¹Ì»ó
X
2025.01.09
¹Ì»ó
¹Ì»ó
ºñ°í
(¸Å°¢¹°°Ç
¸í¼¼¼­)
Á¤ÁÖ¸®:ÁÖÅÃÀÓÂ÷±Ç µî±âÀÏÀº 2024.5.10.ÀÓ. ÁÖÅõµ½Ãº¸Áõ°ø»ç(Á¤ÁÖ¸®):ÀÓÂ÷ÀÎ Á¤ÁÖ¸®ÀÇ ÀÓ´ëÂ÷º¸Áõ±Ý¹Ýȯä±ÇÀÇ ¾ç¼öÀÎÀ̰í ÀÌ »ç°Ç °æ¸Å½Åû ä±ÇÀÚÀÓ.

¿©ÀÇÁÖ°æ¸Å Á¶¾ð ÇÑ ¸¶µð

¸Å°¢¹°°Ç¸í¼¼ ºñ°í³­¿¡ ±âÀçµÈ ³»¿ëÀÔ´Ï´Ù.
Á¤ÁÖ¸®:ÁÖÅÃÀÓÂ÷±Ç µî±âÀÏÀº 2024.5.10.ÀÓ. ÁÖÅõµ½Ãº¸Áõ°ø»ç(Á¤ÁÖ¸®):ÀÓÂ÷ÀÎ Á¤ÁÖ¸®ÀÇ ÀÓ´ëÂ÷º¸Áõ±Ý¹Ýȯä±ÇÀÇ ¾ç¼öÀÎÀ̰í ÀÌ »ç°Ç °æ¸Å½Åû ä±ÇÀÚÀÓ.
³«Âû ÈÄ¿¡ µî±âºÎ»ó ¼Ò¸êµÇÁö ¾Ê´Â ±Ç¸®ÀÔ´Ï´Ù.
À»±¸ 3¹ø ÁÖÅÃÀÓÂ÷±Ç µî±â(¹è´ç¿¡¼­ º¸Áõ±ÝÀÌ Àü¾× º¯Á¦µÇÁö ¾Æ´ÏÇϸé Àܾ×À» ¸Å¼öÀÎÀÌ ÀμöÇÔ)
¼±¼øÀ§ ÀÓÂ÷±Çµî±â°¡ µÇ¾î ÀÖ½À´Ï´Ù.
´Ù¼öÀÇ ÀÓÂ÷ÀÎÀÌ Á¶»ç, ½Å°íµÇ¾î ÀÖ½À´Ï´Ù.
¸Å°¢¹°°Ç¸í¼¼¼­ ¹× ÇöȲÁ¶»ç¼­¿¡ 3¸íÀÇ ÀÓÂ÷ÀÎÀÌ ³ªÅ¸³ª ÀÖ½À´Ï´Ù. ÀÓÂ÷ÀÎÀÌ ¸¹Àº °æ¿ì ¸íµµ¿¡ ¾î·Á¿òÀÌ ÀÖÀ¸´Ï Àü¹®°¡¿Í ÇùÀÇÇÏ¿© ÁøÇàÇÏ½Ã±æ ±ÇÇØ µå¸³´Ï´Ù.
¡Ø ¹°°Ç Ű¿öµå : µµ½ÃÁö¿ª/°ü¸®Áö¿ª/ÁÖ°ÅÁö¿ª/Á¦3Á¾ÀϹÝÁÖ°ÅÁö¿ª/ÁöÇÏö/Â÷·® Á¢±ÙÀÌ °¡´É/³ë¼±¹ö½º Á¤·ùÀå/ö±ÙÄÜÅ©¸®Æ®±¸Á¶
Àüü ÄÁ¼³ÆÃÀÌ ºÎ´ã½º·¯¿ì½Å°¡¿ä? ±Ç¸®ºÐ¼®¸¸ ÀÇ·ÚÇϼŵµ ±¦Âú½À´Ï´Ù!
½Ç¼Ó ÀÖ°Ô Çٽɸ¸ ´ãÀº ±Ç¸®ºÐ¼® ¼­ºñ½º!! (±Ç¸®ºÐ¼® + ½Ã¼¼Á¶»ç + ³«Âû°¡ »êÁ¤ + ÀÔÂûÇ¥ ÀÛ¼º¹æ¹ý ±îÁö)
ÃÖ´ë Àüü ÄÁ¼³ÆÃ ºñ¿ëÀÇ 10% ¼öÁØ !!

ÁÖÀÇ»çÇ× (ÃÖ¼±¼øÀ§ ¼³Á¤ÀÏ: 2022.6.13. ¾Ð·ù ¼³Á¤)

¸Å°¢À¸·Î ¼Ò¸êµÇÁö ¾Ê´Â µî±âºÎ±Ç¸®: À»±¸ 3¹ø ÁÖÅÃÀÓÂ÷±Ç µî±â(¹è´ç¿¡¼­ º¸Áõ±ÝÀÌ Àü¾× º¯Á¦µÇÁö ¾Æ´ÏÇϸé Àܾ×À» ¸Å¼öÀÎÀÌ ÀμöÇÔ)
¸Å°¢À¸·Î ¼³Á¤µÈ °ÍÀ¸·Î º¸´Â Áö»ó±Ç:
¡Ø¹Ì³³°ü¸®ºñ(°ø¿ë) Àμö¿©ºÎ¸¦ ÀÔÂû Àü¿¡ È®ÀÎÇϽñ⠹ٶø´Ï´Ù

 

Áö¿ªºÐ¼®

ÁöÇÏö¸í Á÷¼±°Å¸®

Çб³¸í ÀüÈ­¹øÈ£ ÁÖ¼Ò Á÷¼±°Å¸®

¹ý¿ø

¼­¿ïºÏºÎÁö¹æ¹ý¿ø (013-22)¼­¿ïƯº°½Ã µµºÀ±¸ ¸¶µé·Î749 (µµºÀ2µ¿ 626)
´ëÇ¥ : 02)910-3114
°üÇÒÁö¿ª : °­ºÏ±¸, ³ë¿ø±¸, µµºÀ±¸, µ¿´ë¹®±¸, ¼ººÏ±¸, Áß¶û±¸

µî±â¼Ò ¼­¿ïºÏºÎÁö¹æ¹ý¿ø º»¿ø µî±â±¹ (´ëÇ¥:1544-0773, ÆÑ½º:(02)2030-2330, ¼­¿ïƯº°½Ã µµºÀ±¸ ³ëÇØ·Î 325 (⵿ 337¹øÁö))
¼¼¹«¼­ µµºÀ¼¼¹«¼­ (´ëÇ¥:02-944-020, ÆÑ½º:02-984-2580, ¼­¿ïƯº°½Ã °­ºÏ±¸ µµºÀ·Î 117 (¹Ì¾Æµ¿))

Àαٳ«ÂûÅë°è

±â°£ ¸Å°¢°Ç¼ö Æò±Õ°¨Á¤°¡
Æò±Õ¸Å°¢°¡
¸Å°¢°¡À²
Æò±ÕÀ¯Âû¼ö
3°³¿ù 34°Ç 240,664,706¿ø
191,886,221¿ø
81%
3.6ȸ
6°³¿ù 62°Ç 241,612,097¿ø
194,265,409¿ø
81%
3.2ȸ
12°³¿ù 118°Ç 237,842,797¿ø
185,096,431¿ø
78%
3.2ȸ


º» °æ¸ÅÁ¤º¸´Â ¹ý¿øÀÚ·á¿Í ÀÏÄ¡Çϵµ·Ï ÇÏ¿´À¸³ª ±Ç¸®»çÇ׺¯µ¿, ÀÔ·ÂÂø¿À µîÀÇ ¿øÀÎÀ¸·Î »ç½Ç°ú ´Ù¸¦ ¼ö ÀÖ½À´Ï´Ù. ÀÌ¿ë¾à°ü¿¡ ÀǰЏéÃ¥Á¶°ÇÀ¸·Î Á¦°øµÊÀ» ¾Ë¸®¸ç, °æ¸ÅÀÔÂû½Ã ¹Ýµå½Ã °ü·Ã °øºÎ¸¦ ÀçÈ®ÀÎÇϽñ⠹ٶø´Ï´Ù. º¸´Ù Æí¸®ÇÑ °æ¸ÅÁ¤º¸ Á¦°øÀ» À§ÇØ Áö¼ÓÀûÀ¸·Î °³¼±ÇϰڽÀ´Ï´Ù. ÀÌ¿ëÇØ Áּż­ °¨»çÇÕ´Ï´Ù.
°ü½É¹°°ÇÀ¸·Î µî·ÏÇÕ´Ï´Ù