1299
´ä
â¿øÁö¹æ¹ý¿ø ÁøÁÖÁö¿ø
 °¨Á¤°¡182,130,000 ¿ø
 ÃÖÀú°¡(36%) 65,275,000 ¿ø
 º¸Áõ±Ý(10%) 6,527,500 ¿ø
 Ã»±¸¾×54,791,780 ¿ø
°æ»ó³²µµ ÁøÁֽà ±Ý°î¸é °Ë¾Ï¸® 916-1
»ç°Ç¹øÈ£ 2024Ÿ°æ40020
°æ¸ÅÁ¾·ùºÎµ¿»êÀÓÀǰæ¸Å
¸Å°¢´ë»óÅäÁö¸Å°¢
¸Å°¢±âÀÏ    2026.04.13(¿ù) 10:00 ÀÔÂû 8ÀÏÀü    
ÅäÁö¸éÀû2,802.00§³(847.61 Æò)
°Ç¹°¸éÀû
乫/¼ÒÀ¯ÀÚÇÏOO / ÇÏOO
ä±ÇÀÚÀÌOO
±è¼ºÈÆ ´ëÇ¥ÀÌ»ç
°øÀÎÁß°³»ç, ºÎµ¿»ê°ø°æ¸Å»ç, ÇѾç´ëÇб³ Á¹¾÷
Àü) ÅÂÀÎÄÁ¼³ÆÃ(ÁÖ) ´ëÇ¥ÀÌ»ç
Àü) ¿©ÀÇÁֺε¿»êÁß°³¹ýÀÎ(ÁÖ) ´ëÇ¥ÀÌ»ç
Çö) ¿©ÀÇÁÖ°æ¸Å¹ýÀÎ ´ëÇ¥ÀÌ»ç
010-2371-3237
ÆäÀ̽ººÏ Æ®À§ÅÍ ±¸±Û+
īī¿À½ºÅ丮
īī¿ÀÅå sms¹®ÀÚº¸³»±â
 

±âÀϳ»¿ª

°æ°ú ³¯Â¥ Àú°¨ ÃÖÀú°¡ °á°ú
Á¢¼öÀÏ 2024-12-10 °æ¸ÅÁ¢¼ö
~1ÀÏ 
2024-12-11 °æ¸Å°³½Ã°áÁ¤
~78ÀÏ 
2025-02-26 ¹è´ç¿ä±¸Á¾±âÀÏ
~314ÀÏ 
2025-10-20 100%
182,130,000
À¯Âû
~349ÀÏ 
2025-11-24 80%
145,704,000
À¯Âû
~398ÀÏ 
2026-01-12 64%
116,563,000
À¯Âû
~454ÀÏ 
2026-03-09 51%
93,250,000
À¯Âû
~489ÀÏ 
2026-04-13 36%
65,275,000
ÁøÇà
¹°°Ç¸í¼¼¼­ ÇöȲÁ¶»ç¼­ ¹®°ÇÁ¢¼ö ¼Û´Þ³»¿ª

°¨Á¤Æò°¡ÇöȲ

¸ñ·Ï ÁÖ¼Ò ±¸Á¶/¿ëµµ/´ëÁö±Ç ¸éÀû ºñ°í
ÅäÁö
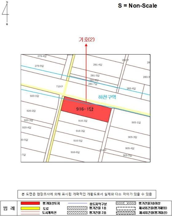
°Ë¾Ï¸® 916-1 ´ä 2802 §³
(847.61Æò)
1) À§Ä¡/³ó¸²Áö¿ª ´õº¸±â
°¨Á¤Æò°¡ ¿äÇ×Ç¥
1)À§Ä¡ ¹× ÁÖÀ§È¯°æ
º»°ÇÀº °æ»ó³²µµ ÁøÁֽà ±Ý°î¸é °Ë¾Ï¸® ¼ÒÀç "Â÷Çö ¸¶À»È¸°ü" ³²µ¿Ãø ±Ù°Å¸®¿¡ ±âÈ£(1), ³²µ¿Ãø Àαٿ¡ ±âÈ£(2)°¡ °¢°¢ À§Ä¡Çϰí, ÁÖÀ§´Â ¸¶À» ³» ÁÖÅÃ, ¸¶À»ÁÖº¯ ³ó°æÁö, ÀÓ¾ß µîÀ¸·Î Çü¼ºµÇ¾îÁ® ÀÖÀ¸¸ç, Á¦¹Ý ÁÖÀ§È¯°æÀº º¸Åë½ÃµÊ.
2)±³Åë»óȲ
Áö¿ª ³» ÀϹÝÀû ±³Åë»çÁ¤Àº º¸Åë½ÃµÊ.
3)ÇüÅ ¹× ÀÌ¿ë»óÅÂ
±âÈ£(1) : ´ëü·Î ÆòźÇϳª, ÀϺΠ°æ»çÁöÀÎ ºÎÁ¤ÇüÀÇ ÅäÁö·Î¼­, ´äÀ¸·Î ÀÌ¿ëÁßÀÓ.

±âÈ£(2) : ¼¼ÀåÇüÀÇ ÅäÁö·Î¼­, ´ëü·Î ÆòźÇϸç, ´äÀ¸·Î ÀÌ¿ëÁßÀÓ.
4)ÀÎÁ¢ µµ·Î»óÅÂ
±âÈ£(1) : ÁöÀûµµ»ó ¸ÍÁöÀ̰í, ¼­ÃøÀ¸·Î ¼ÒÆøÀÇ ÁøÀԷθ¦ ÅëÇÏ¿© Á¢±Ù °¡´ÉÇÑ »óÅÂÀÓ.

±âÈ£(2) : ºÏÃø ¹× ¼­ÃøÀ¸·Î ³ëÆø 3-4 ¹ÌÅÍ ³»¿ÜÀÇ Æ÷Àåµµ·Î°¡ °¢°¢ ¼ÒÀçÇÔ.
5)ÅäÁöÀÌ¿ë°èȹ ¹× Á¦ÇÑ»óÅÂ
±âÈ£(1) : ³ó¸²Áö¿ª, °¡Ãà»çÀ°Á¦Çѱ¸¿ª(¸ðµçÃàÁ¾ Á¦ÇÑ)<°¡ÃàºÐ´¢ÀÇ °ü¸® ¹× À̿뿡 °üÇÑ ¹ý·ü>, ³ó¾÷ÁøÈﱸ¿ª<³óÁö¹ý>.

±âÈ£(2) : ³ó¸²Áö¿ª, °¡Ãà»çÀ°Á¦Çѱ¸¿ª(¸ðµçÃàÁ¾ Á¦ÇÑ)<°¡ÃàºÐ´¢ÀÇ °ü¸® ¹× À̿뿡 °üÇÑ ¹ý·ü>, ³ó¾÷ÁøÈﱸ¿ª<³óÁö¹ý>, ÇÏõ±¸¿ª(°Ë¾Ïõ)<ÇÏõ¹ý>.
6)Á¦½Ã¸ñ·Ï ¿ÜÀÇ ¹°°Ç
--
7)°øºÎ¿ÍÀÇ Â÷ÀÌ
--
8)±âŸÂü°í»çÇ×(ÀÓ´ë°ü·Ê ¹× ±âŸ)
1) ÀÓ´ë°ü°è : ¹Ì»óÀÓ.

2) ±â Ÿ : "°¨Á¤Æò°¡¾×ÀÇ »êÃâ±Ù°Å ¹× °áÁ¤Àǰß"»ó "±âŸ Âü°í»çÇ×"¶õ ÂüÁ¶.
Âü°í
»çÇ×
-³óÁö°¡ ¾Æ´Ï¶ó´Â »ç½ÇÀ» Áõ¸íÇϰųª ³óÁöÃëµæÀÚ°ÝÁõ¸íÀ» ¿äÇÔ(¹ÌÁ¦Ãâ½Ã º¸Áõ±Ý ¸ô¼öÇÔ). -ä±ÇÀÚÀÇ 2025. 09. 18.ÀÚ Âü°íÀÚ·á Á¦Ãâ¼­¿¡ ÀÇÇϸé, ¸Å°¢´ë»ó ºÎµ¿»ê°ú °ü·ÃÇÏ¿© ¼ÒÀ¯ÀÚ¿Í ½Åûä±ÇÀÚ¸¦ »ó´ë·Î â¿øÁö¹æ¹ý¿ø 2025³ª12155 ¼ÒÀ¯±ÇÀÌÀüµî±â ¹× °¡µî±â ¸»¼Òµî±âÀÇ ¼Ò ÁøÇàÁßÀÓ. -ÀϺΠÇÏõ±¸¿ª¿¡ ÀúÃËÀÎ ¹Ù, À̸¦ °¨¾ÈÇÏ¿© Æò°¡ÇÔ. -Á¤È®ÇÑ À§Ä¡?°æ°èÈ®Á¤Àº Ãø·® ¿äÇÔ.


±¹ÅäºÎ½Ç°Å·¡°¡ °æ»ó³²µµ ÁøÁֽà ±Ý°î¸é

°è¾àÀÏÁö¸ñ¿ëµµÁö¿ªµµ·Î°è¾à¸éÀû±Ý¾×±¸ºÐ
26.03.16Àü°èȹ°ü¸®-11694,800
26.03.13Àü°èȹ°ü¸®-9325,000
26.03.13Àü°èȹ°ü¸®-159744
26.03.11ÀâÁ¾Áö°èȹ°ü¸®8m¹Ì¸¸5199,300
26.03.11µµ·Î°èȹ°ü¸®-82.571,380ÁöºÐ
¢Ñ ´õº¸±â

µî±âºÎµîº» ¿ä¾à(ÅäÁö)

  Á¢¼öÀÏÀÚ µî±â¸ñÀû/±Ç¸®ÀÚ ±Ç¸®±Ý¾× ±âÁØ
1 2020³â12¿ù31ÀÏ
¼ÒÀ¯±Ç
ÇÏOO
¼Ò¸ê
2 2020³â12¿ù31ÀÏ
°¡µî±â
ÀÌOO
Àμö
3 2021³â4¿ù13ÀÏ
°¡Ã³ºÐ
ÁøOOOO
Àμö
4 2024³â5¿ù24ÀÏ
°¡¾Ð·ù
ÀÌOO
50,000,000 ¼Ò¸ê±âÁØ
5 2024³â12¿ù11ÀÏ
ÀÓÀǰæ¸Å
ÀÌOO
¼Ò¸ê

ÀÓÂ÷ÀÎÇöȲ (¹è´ç¿ä±¸Á¾±âÀÏ: 2025-02-26)


Á¶»çµÈ ÀÓÂ÷³»¿ªÀÌ ¾ø½À´Ï´Ù


¿©ÀÇÁÖ°æ¸Å Á¶¾ð ÇÑ ¸¶µð

³«Âû ÈÄ¿¡ µî±âºÎ»ó ¼Ò¸êµÇÁö ¾Ê´Â ±Ç¸®´Â ¾ø½À´Ï´Ù.
´ë·«ÀûÀÎ °ËÅäÀǰßÀ̹ǷΠÀÔÂûÀü¿¡ Àü¹®°¡ÀÇ Á¶¾ðÀ» Âü°íÇØ º¸½Ã±æ ±ÇÇØµå¸³´Ï´Ù.
³óÁöÃëµæÀÚ°ÝÁõ¸í¿ø Á¦ÃâÀ» Á¶°ÇÀ¸·Î ÇÏ´Â ¹°°ÇÀÔ´Ï´Ù.
ÀÌ »ç°Ç¹øÈ£·Î 2°³ÀÇ ¹°°ÇÀÌ °æ¸ÅµÇ¸ç ÀÌ ¹°°Ç¹øÈ£´Â 2¹ø ÀÔ´Ï´Ù.
ÃëÇÏ ¶Ç´Â Ãë¼ÒµÉ °¡´É¼º ÀÖ½À´Ï´Ù.
ÀÌ ¹°°ÇÀÇ °¨Á¤°¡°ÝÀº 182,130,000¿øÀÔ´Ï´Ù. °æ¸Å¸¦ ½ÅûÇÑ Ã¤±ÇÀÚ°¡ ¹è´ç ¹Þ¾Æ¾ß ÇÒ ±Ý¾×Àº 54,791,780¿øÀ¸·Î °¨Á¤°¡°Ý ´ëºñ »ó´çÈ÷ ÀûÀº ±Ý¾×ÀÔ´Ï´Ù. ÀÌ·± °æ¿ì, 乫°¡°¡ º¯Á¦ÇÏ¿© °æ¸Å¸¦ ÃëÇϽÃŰ°Å³ª °æ¸Å½Åûä±ÇÀÚ°¡ ¹è´ç¹ÞÀ» ±Ý¿øÀÌ ¾ø°ÔµÇ¾î À̸¥ ¹Ù "¹«À׿©¿¡ ÀÇÇÑ Ãë¼Ò"°¡ µÉ °¡´É¼ºÀÌ ÀÖ½À´Ï´Ù.
°¨Á¤ ½ÃÁ¡ÀÌ ¿À·¡µÇ¾î °¡°Ýº¯µ¿ÀÌ ÀÖÀ» ¼ö ÀÖ½À´Ï´Ù.
ÀÌ ¹°°ÇÀº 2024³â 12¿ù 11ÀÏ¿¡ °æ¸Å°¡ °³½ÃµÇ¾ú´Âµ¥ Áö±Ý ½ÃÁ¡À¸·Î ¾à 480ÀÏÀÌ ÀÌ °æ°úµÇ¾ú½À´Ï´Ù. °¨Á¤°¡°ÝÀº 480ÀÏ Àü ½ÃÁ¡¿¡¼­ Æò°¡ÇÑ °¡°ÝÀ̹ǷΠ±× »çÀÌ °¡°Ýº¯µ¿ÀÌ ÀÖÀ» ¼ö ÀÖ½À´Ï´Ù. ƯÈ÷ °¡°Ý º¯µ¿ÀÌ ½ÉÇÑ ¾ÆÆÄÆ®´Â À¯ÀÇÇÏ¼Å¾ß ÇÕ´Ï´Ù. °¨Á¤°¡°ÝÀ» ³Ê¹« ¹ÏÁö ¸¶½Ã°í ÇöÀç ½Ç¸Å¹° °¡°Ý°ú ½Ç°Å·¡°¡¸¦ È®ÀÎÇϽñ⠹ٶø´Ï´Ù.
°£È¤ °¨Á¤°¡°Ýº¸´Ù ³ô°Ô ³«ÂûµÇ´Â °æ¿ì°¡ Àִµ¥ ´ëºÎºÐ ÀÌ·± ÀÌÀ¯ÀÔ´Ï´Ù.
¡Ø ¹°°Ç Ű¿öµå : ³ó¸²Áö¿ª
Àüü ÄÁ¼³ÆÃÀÌ ºÎ´ã½º·¯¿ì½Å°¡¿ä? ±Ç¸®ºÐ¼®¸¸ ÀÇ·ÚÇϼŵµ ±¦Âú½À´Ï´Ù!
½Ç¼Ó ÀÖ°Ô Çٽɸ¸ ´ãÀº ±Ç¸®ºÐ¼® ¼­ºñ½º!! (±Ç¸®ºÐ¼® + ½Ã¼¼Á¶»ç + ³«Âû°¡ »êÁ¤ + ÀÔÂûÇ¥ ÀÛ¼º¹æ¹ý ±îÁö)
ÃÖ´ë Àüü ÄÁ¼³ÆÃ ºñ¿ëÀÇ 10% ¼öÁØ !!

ÁÖÀÇ»çÇ× (ÃÖ¼±¼øÀ§ ¼³Á¤ÀÏ: 2020.12.31.[°¡µî±â] ¼³Á¤)

¸Å°¢À¸·Î ¼Ò¸êµÇÁö ¾Ê´Â µî±âºÎ±Ç¸®:
¸Å°¢À¸·Î ¼³Á¤µÈ °ÍÀ¸·Î º¸´Â Áö»ó±Ç:
-³óÁö°¡ ¾Æ´Ï¶ó´Â »ç½ÇÀ» Áõ¸íÇϰųª ³óÁöÃëµæÀÚ°ÝÁõ¸íÀ» ¿äÇÔ(¹ÌÁ¦Ãâ½Ã º¸Áõ±Ý ¸ô¼öÇÔ). -ä±ÇÀÚÀÇ 2025. 09. 18.ÀÚ Âü°íÀÚ·á Á¦Ãâ¼­¿¡ ÀÇÇϸé, ¸Å°¢´ë»ó ºÎµ¿»ê°ú °ü·ÃÇÏ¿© ¼ÒÀ¯ÀÚ¿Í ½Åûä±ÇÀÚ¸¦ »ó´ë·Î â¿øÁö¹æ¹ý ¿ø 2025³ª12155 ¼ÒÀ¯±ÇÀÌÀüµî±â ¹× °¡µî±â ¸»¼Òµî±âÀÇ ¼Ò ÁøÇàÁßÀÓ. -ÀϺΠÇÏõ±¸¿ª¿¡ ÀúÃËÀÎ ¹Ù, À̸¦ °¨¾ÈÇÏ¿© Æò°¡ÇÔ. -Á¤È®ÇÑ À§Ä¡?°æ°èÈ®Á¤Àº Ãø·® ¿äÇÔ.
¡Ø¹Ì³³°ü¸®ºñ(°ø¿ë) Àμö¿©ºÎ¸¦ ÀÔÂû Àü¿¡ È®ÀÎÇϽñ⠹ٶø´Ï´Ù

 

Áö¿ªºÐ¼®

ÁöÇÏö¸í Á÷¼±°Å¸®

Çб³¸í ÀüÈ­¹øÈ£ ÁÖ¼Ò Á÷¼±°Å¸®

¹ý¿ø

â¿øÁö¹æ¹ý¿ø ÁøÁÖÁö¿ø (526-76)°æ»ó³²µµ ÁøÁֽà Áø¾çÈ£·Î 303
´ëÇ¥ : 055)760-3300
°üÇÒÁö¿ª : ÁøÁÖ½Ã, »çõ½Ã, Çϵ¿±º, ³²Çرº, »êû±º

µî±â¼Ò â¿øÁö¹æ¹ý¿ø ÁøÁÖÁö¿ø µî±â°ú (´ëÇ¥:1544-0773, ÆÑ½º:(055)755-0542, °æ³² ÁøÁֽà Áø¾çÈ£·Î 303 (½Å¾Èµ¿ 884-1))
¼¼¹«¼­ ÁøÁÖ¼¼¹«¼­ (´ëÇ¥:055-751-02, ÆÑ½º:055-753-9009, °æ»ó³²µµ ÁøÁֽà ÁøÁÖ´ë·Î908¹ø±æ 15 (Ä¥¾Ïµ¿))

Àαٳ«ÂûÅë°è

±â°£ ¸Å°¢°Ç¼ö Æò±Õ°¨Á¤°¡
Æò±Õ¸Å°¢°¡
¸Å°¢°¡À²
Æò±ÕÀ¯Âû¼ö
3°³¿ù 14°Ç 169,050,796¿ø
72,943,804¿ø
39%
5ȸ
6°³¿ù 18°Ç 231,421,153¿ø
86,904,136¿ø
38%
5.2ȸ
12°³¿ù 49°Ç 310,151,250¿ø
116,905,630¿ø
37%
5.3ȸ


º» °æ¸ÅÁ¤º¸´Â ¹ý¿øÀÚ·á¿Í ÀÏÄ¡Çϵµ·Ï ÇÏ¿´À¸³ª ±Ç¸®»çÇ׺¯µ¿, ÀÔ·ÂÂø¿À µîÀÇ ¿øÀÎÀ¸·Î »ç½Ç°ú ´Ù¸¦ ¼ö ÀÖ½À´Ï´Ù. ÀÌ¿ë¾à°ü¿¡ ÀǰЏéÃ¥Á¶°ÇÀ¸·Î Á¦°øµÊÀ» ¾Ë¸®¸ç, °æ¸ÅÀÔÂû½Ã ¹Ýµå½Ã °ü·Ã °øºÎ¸¦ ÀçÈ®ÀÎÇϽñ⠹ٶø´Ï´Ù. º¸´Ù Æí¸®ÇÑ °æ¸ÅÁ¤º¸ Á¦°øÀ» À§ÇØ Áö¼ÓÀûÀ¸·Î °³¼±ÇϰڽÀ´Ï´Ù. ÀÌ¿ëÇØ Áּż­ °¨»çÇÕ´Ï´Ù.
°ü½É¹°°ÇÀ¸·Î µî·ÏÇÕ´Ï´Ù