106
ÁÖÅÃ
ÃáõÁö¹æ¹ý¿ø °­¸ªÁö¿ø
 °¨Á¤°¡135,402,160 ¿ø
 ÃÖÀú°¡(100%) 135,402,160 ¿ø
 º¸Áõ±Ý(10%) 13,540,216 ¿ø
 Ã»±¸¾×16,134,246 ¿ø
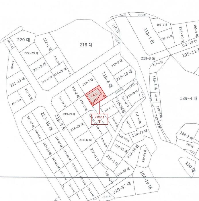
°­¿øÆ¯º°ÀÚÄ¡µµ °­¸ª½Ã È«Á¦µ¿ 219-11
»ç°Ç¹øÈ£ 2024Ÿ°æ1469
°æ¸ÅÁ¾·ùºÎµ¿»êÀÓÀǰæ¸Å
¸Å°¢´ë»óÅäÁö ¹× °Ç¹°Àϰý¸Å°¢
¸Å°¢±âÀÏ    2025.12.22(¿ù) 10:00 ÀÔÂû 2ÀÏÀü    
ÅäÁö¸éÀû143.00§³(43.26 Æò)
°Ç¹°¸éÀû128.58§³(38.90 Æò)
乫/¼ÒÀ¯ÀÚ¹ÚOO / ¹ÚOO
ä±ÇÀÚ°­OOOOO OOOO
±è¼ºÈÆ ´ëÇ¥ÀÌ»ç
°øÀÎÁß°³»ç, ºÎµ¿»ê°ø°æ¸Å»ç, ÇѾç´ëÇб³ Á¹¾÷
Àü) ÅÂÀÎÄÁ¼³ÆÃ(ÁÖ) ´ëÇ¥ÀÌ»ç
Àü) ¿©ÀÇÁֺε¿»êÁß°³¹ýÀÎ(ÁÖ) ´ëÇ¥ÀÌ»ç
Çö) ¿©ÀÇÁÖ°æ¸Å¹ýÀÎ ´ëÇ¥ÀÌ»ç
010-2371-3237
ÆäÀ̽ººÏ Æ®À§ÅÍ ±¸±Û+
īī¿À½ºÅ丮
īī¿ÀÅå sms¹®ÀÚº¸³»±â
 

±âÀϳ»¿ª

°æ°ú ³¯Â¥ Àú°¨ ÃÖÀú°¡ °á°ú
Á¢¼öÀÏ 2024-08-29 °æ¸ÅÁ¢¼ö
~0ÀÏ 
2024-08-29 °æ¸Å°³½Ã°áÁ¤
~91ÀÏ 
2024-11-28 ¹è´ç¿ä±¸Á¾±âÀÏ
~368ÀÏ 
2025-09-01 100%
135,402,160
º¯°æ
~480ÀÏ 
2025-12-22 100%
135,402,160
ÁøÇà
¹°°Ç¸í¼¼¼­ ÇöȲÁ¶»ç¼­ ¹®°ÇÁ¢¼ö ¼Û´Þ³»¿ª

°¨Á¤Æò°¡ÇöȲ

¸ñ·Ï ÁÖ¼Ò ±¸Á¶/¿ëµµ/´ëÁö±Ç ¸éÀû ºñ°í
ÅäÁö
È«Á¦µ¿ 219-11 ´ë 143 §³
(43.26Æò)
°Ç¹°
È«Á¦µ¿ 219-11 1Ãþ ÁÖÅà 56.54 §³
(17.10Æò)
È«Á¦µ¿ 219-11 2Ãþ ÁÖÅà 68.84 §³
(20.82Æò)
È«Á¦µ¿ 219-11 ´ÜÃþ ºÎ¼Óâ°í 1 §³
(0.30Æò)
Á¦½Ã¿Ü
°Ç¹°
È«Á¦µ¿ 219-11 â°í 2.2 §³
(0.67Æò)
Æ÷ÇÔ
1) À§Ä¡/µµ½ÃÁö¿ª/Á¦2Á¾ÀϹÝÁÖ°ÅÁö¿ª/Â÷·®ÀÇ Á¢±ÙÀÌ °¡´É/½º¶óºêÁöºØ ´õº¸±â
°¨Á¤Æò°¡ ¿äÇ×Ç¥
1)À§Ä¡ ¹× ÁÖÀ§È¯°æ
º»°ÇÀº °­¿øÆ¯º°ÀÚÄ¡µµ °­¸ª½Ã È«Á¦µ¿ ¼ÒÀç "°­¸ª°í¼Ó¹ö½ºÅ͹̳Î" µ¿Ãø Àαٿ¡ À§Ä¡Çϸç, ºÎ±ÙÀº ´Üµ¶ÁÖÅà µîÀÌ ¹ÐÁýµÈ ±âÁ¸ÁÖÅÃÁö´ëÀÓ.
2)±³Åë»óȲ
º»°Ç±îÁö Â÷·®ÀÇ Á¢±ÙÀÌ °¡´ÉÇϸç, Àα٠³ë¼±¹ö½ºÀÇ ¿îÇà»óȲ ¹× µµ·Î»óȲÀ» °í·Á½Ã Á¦¹Ý ±³Åë»óȲÀº º¸ÅëÀÓ.
3)ÇüÅ ¹× ÀÌ¿ë»óÅÂ
ÀÚüÁö¹Ý ÆòźÇÑ °¡·ÎÀ广ÇüÀÇ ÅäÁö·Î¼­ ÀÎÁ¢µµ·Î ´ëºñ ´Ù¼Ò ÀúÁöÀ̸ç ÁÖ°Å¿ë °ÇºÎÁö·Î ÀÌ¿ëÁßÀÓ.
4)ÀÎÁ¢ µµ·Î»óÅÂ
º»°Ç ³²µ¿ÃøÀ¸·Î ³ëÆø ¾à3-4¹ÌÅÍ ³»¿ÜÀÇ Æ÷Àåµµ·Î¿¡ Á¢ÇÔ.
5)ÅäÁöÀÌ¿ë°èȹ ¹× Á¦ÇÑ»óÅÂ
µµ½ÃÁö¿ª, Á¦2Á¾ÀϹÝÁÖ°ÅÁö¿ª, °¡Ãà»çÀ°Á¦Çѱ¸¿ª(¸ðµçÃàÁ¾ »çÀ°Á¦Çѱ¸¿ª)<°¡ÃàºÐ´¢ÀÇ °ü¸® ¹× À̿뿡 °üÇÑ ¹ý·ü>, ºñÇà¾ÈÀüÁ¦6±¸¿ª(Àü¼ú)<±º»ç±âÁö ¹× ±º»ç½Ã¼³ º¸È£¹ý>ÀÓ.
6)Á¦½Ã¸ñ·Ï ¿ÜÀÇ ¹°°Ç
º°Ã· "°Ç¹°°³È²µµ" ÂüÁ¶


7)°øºÎ¿ÍÀÇ Â÷ÀÌ
¾øÀ½.
8)±âŸÂü°í»çÇ×(ÀÓ´ë°ü·Ê ¹× ±âŸ)
ÀÓ´ë°ü°è´Â ¹Ì»óÀÓ.
1)°Ç¹°ÀÇ ±¸Á¶
±âÈ£(2): ¼¼¸àº®µ¹Á¶ ½º¶óºêÁöºØ 2Ãþ °ÇÀ¸·Î
¿Üº®: ¸ôÅ»À§ ÆäÀΣ¿, µ¹ºÙÀÓ ¸¶°¨ µî
³»º®: º®Áöµµ¹è ¹× ŸÀϺÙÀÓ µî
âȣ: PVC¼¦½Ã âȣ µîÀÓ.

±âÈ£(2) ºÎ¼Ó°Ç¹°: ¼¼¸àº®µ¹Á¶ ½º¶óºêÁöºØ ´ÜÃþ â°í·Î¼­
¿Üº®: ¸ôÅ»À§ÆäÀÎÆÃ ¸¶°¨ÀÓ.
2)ÀÌ¿ë»óÅÂ
±âÈ£(2): ÁÖÅÃ, ±âÈ£(2) ºÎ¼Ó°Ç¹°: È­Àå½Ç·Î ÀÌ¿ëÁßÀÓ.
3)¼³ºñ³»¿ª
±âÈ£(2): À§»ý¼³ºñ, ³­¹æ¼³ºñ µî µÇ¾îÀÖÀ½.
4)ºÎÇÕ¹° ¹× Á¾¹°
º°Ã· "°Ç¹°°³È²µµ ¹× »çÁø¿ëÁö" ÂüÁ¶
5)°øºÎ¿ÍÀÇ Â÷ÀÌ
±âÈ£(2) ÁÖÅà 1ÃþÀÇ °øºÎ»ó¸éÀûÀº "56.54§³"À̳ª ½ÇÁ¦¸éÀûÀº "71.3§³"À̸ç, ±âÈ£(2) ºÎ¼Ó°Ç¹°Àº °øºÎ»ó "â°í"À̳ª ÇöȲ "È­Àå½Ç"ÀÓ.

6)±âŸÂü°í»çÇ×(ÀÓ´ë°ü·Ê ¹× ±âŸ)
ÀÓ´ë°ü°è´Â ¹Ì»óÀÓ.
Âü°í
»çÇ×
-Àϰý¸Å°¢. Á¦½Ã¿Ü °Ç¹° Æ÷ÇÔ -¸ñ·Ï2. 1ÃþÀÇ ½ÇÁ¦¸éÀûÀº "71.3§³"ÀÌ¸ç ºÎ¼Ó°Ç¹°ÀÇ ÇöȲÀº È­Àå½ÇÀÓ
¼ÒÀç : °­¸ª½Ã ±³1µ¿ °üµ¿ÁßÇб³ ³²µ¿Ãø Àαٿ¡ À§Ä¡ÇÔ. ÇöȲ : º»°Ç ±âÈ£1¹ø, 2¹øÀº µµ½ÃÁö¿ª, Á¦2Á¾ÀϹÝÁÖ°ÅÁö¿ªÀÇ ´ëÁö ¹× ÁÖÅÃÀ¸

°ÇÃ๰ÇöȲ

¼ÒÀçÁö °­¿øÆ¯º°ÀÚÄ¡µµ °­¸ª½Ã È«Á¦µ¿ 219-11¹øÁö
´ëÁö¸éÀû   ¿¬¸éÀû 126.38§³
(38.3Æò)
°ÇÃà¸éÀû 57.54§³
(17.44Æò)
¿ëÀû·ü»êÁ¤
¿¬¸éÀû
126.38§³
(38.3Æò)
°ÇÆóÀ²   ¿ëÀû·ü  
Áö»óÃþ¼ö 2Ãþ ÁöÇÏÃþ¼ö  
ÁÖ¿ëµµ ´Üµ¶ÁÖÅà ±¸Á¶ º®µ¹±¸Á¶
Âø°øÀÏÀÚ »ç¿ë½ÂÀÎÀÏÀÚ 1982.02.16
°ÇÃ๰Ãþº°ÇöȲ [º¸±â]


±¹ÅäºÎ½Ç°Å·¡°¡ °­¿øÆ¯º°ÀÚÄ¡µµ °­¸ª½Ã È«Á¦µ¿

¡Ü ¸Å¸Å

¸éÀû(§³), ±Ý¾×(¸¸¿ø)

¡Ü Àü¼¼

¸éÀû(§³), ±Ý¾×(¸¸¿ø)

°è¾àÀÏÀ¯Çü¿¬¸éÀû´ëÁö±Ý¾×°ÇÃà
24.03.25´Üµ¶43.141099,0001976
24.03.19´Üµ¶177.3625035,0002003
24.03.13´Ù°¡±¸320.7253037,0001995
24.02.15´Üµ¶132.319843,5001980
24.02.05´Üµ¶50.1511912,0001969
¢Ñ ´õº¸±â

µî±âºÎµîº» ¿ä¾à(ÅäÁö)

  Á¢¼öÀÏÀÚ µî±â¸ñÀû/±Ç¸®ÀÚ ±Ç¸®±Ý¾× ±âÁØ
1 2009³â7¿ù20ÀÏ
¼ÒÀ¯±Ç
¹ÚOO
¼Ò¸ê
2 2009³â9¿ù11ÀÏ
±ÙÀú´ç±Ç
°­OOOO
26,000,000 ¼Ò¸ê±âÁØ
3 2024³â4¿ù11ÀÏ
±ÙÀú´ç±Ç
°­OOOO
19,500,000 ¼Ò¸ê
4 2024³â4¿ù18ÀÏ
¾Ð·ù
°­OO
¼Ò¸ê
5 2024³â8¿ù29ÀÏ
ÀÓÀǰæ¸Å
°­OOOO
¼Ò¸ê

µî±âºÎµîº» ¿ä¾à(°Ç¹°)

  Á¢¼öÀÏÀÚ µî±â¸ñÀû/±Ç¸®ÀÚ ±Ç¸®±Ý¾× ±âÁØ
1 2009³â7¿ù20ÀÏ
¼ÒÀ¯±Ç
¹ÚOO
¼Ò¸ê
2 2009³â9¿ù11ÀÏ
±ÙÀú´ç±Ç
°­OOOO
26,000,000 ¼Ò¸ê±âÁØ
3 2024³â4¿ù11ÀÏ
±ÙÀú´ç±Ç
°­OOOO
19,500,000 ¼Ò¸ê
4 2024³â4¿ù18ÀÏ
¾Ð·ù
°­OO
¼Ò¸ê
5 2024³â8¿ù29ÀÏ
ÀÓÀǰæ¸Å
°­OOOO
¼Ò¸ê

ÀÓÂ÷ÀÎÇöȲ (¹è´ç¿ä±¸Á¾±âÀÏ: 2024-11-28)


Á¶»çµÈ ÀÓÂ÷³»¿ªÀÌ ¾ø½À´Ï´Ù


¿©ÀÇÁÖ°æ¸Å Á¶¾ð ÇÑ ¸¶µð

³«Âû ÈÄ¿¡ µî±âºÎ»ó ¼Ò¸êµÇÁö ¾Ê´Â ±Ç¸®´Â ¾ø½À´Ï´Ù.
´ë·«ÀûÀÎ °ËÅäÀǰßÀ̹ǷΠÀÔÂûÀü¿¡ Àü¹®°¡ÀÇ Á¶¾ðÀ» Âü°íÇØ º¸½Ã±æ ±ÇÇØµå¸³´Ï´Ù.
Á¦½Ã¿Ü ¹°°ÇÀÌ Æ÷ÇԵǾî ÀÖ½À´Ï´Ù.
ÃëÇÏ ¶Ç´Â Ãë¼ÒµÉ °¡´É¼º ÀÖ½À´Ï´Ù.
ÀÌ ¹°°ÇÀÇ °¨Á¤°¡°ÝÀº 135,402,160¿øÀÔ´Ï´Ù. °æ¸Å¸¦ ½ÅûÇÑ Ã¤±ÇÀÚ°¡ ¹è´ç ¹Þ¾Æ¾ß ÇÒ ±Ý¾×Àº 16,134,246¿øÀ¸·Î °¨Á¤°¡°Ý ´ëºñ »ó´çÈ÷ ÀûÀº ±Ý¾×ÀÔ´Ï´Ù. ÀÌ·± °æ¿ì, 乫°¡°¡ º¯Á¦ÇÏ¿© °æ¸Å¸¦ ÃëÇϽÃŰ°Å³ª °æ¸Å½Åûä±ÇÀÚ°¡ ¹è´ç¹ÞÀ» ±Ý¿øÀÌ ¾ø°ÔµÇ¾î À̸¥ ¹Ù "¹«À׿©¿¡ ÀÇÇÑ Ãë¼Ò"°¡ µÉ °¡´É¼ºÀÌ ÀÖ½À´Ï´Ù.
°¨Á¤ ½ÃÁ¡ÀÌ ¿À·¡µÇ¾î °¡°Ýº¯µ¿ÀÌ ÀÖÀ» ¼ö ÀÖ½À´Ï´Ù.
ÀÌ ¹°°ÇÀº 2024³â 8¿ù 29ÀÏ¿¡ °æ¸Å°¡ °³½ÃµÇ¾ú´Âµ¥ Áö±Ý ½ÃÁ¡À¸·Î ¾à 478ÀÏÀÌ ÀÌ °æ°úµÇ¾ú½À´Ï´Ù. °¨Á¤°¡°ÝÀº 478ÀÏ Àü ½ÃÁ¡¿¡¼­ Æò°¡ÇÑ °¡°ÝÀ̹ǷΠ±× »çÀÌ °¡°Ýº¯µ¿ÀÌ ÀÖÀ» ¼ö ÀÖ½À´Ï´Ù. ƯÈ÷ °¡°Ý º¯µ¿ÀÌ ½ÉÇÑ ¾ÆÆÄÆ®´Â À¯ÀÇÇÏ¼Å¾ß ÇÕ´Ï´Ù. °¨Á¤°¡°ÝÀ» ³Ê¹« ¹ÏÁö ¸¶½Ã°í ÇöÀç ½Ç¸Å¹° °¡°Ý°ú ½Ç°Å·¡°¡¸¦ È®ÀÎÇϽñ⠹ٶø´Ï´Ù.
°£È¤ °¨Á¤°¡°Ýº¸´Ù ³ô°Ô ³«ÂûµÇ´Â °æ¿ì°¡ Àִµ¥ ´ëºÎºÐ ÀÌ·± ÀÌÀ¯ÀÔ´Ï´Ù.
¡Ø ¹°°Ç Ű¿öµå : µµ½ÃÁö¿ª/ÁÖ°ÅÁö¿ª/Á¦2Á¾ÀϹÝÁÖ°ÅÁö¿ª/Â÷·®ÀÇ Á¢±ÙÀÌ °¡´É/½º¶óºêÁöºØ
Àüü ÄÁ¼³ÆÃÀÌ ºÎ´ã½º·¯¿ì½Å°¡¿ä? ±Ç¸®ºÐ¼®¸¸ ÀÇ·ÚÇϼŵµ ±¦Âú½À´Ï´Ù!
½Ç¼Ó ÀÖ°Ô Çٽɸ¸ ´ãÀº ±Ç¸®ºÐ¼® ¼­ºñ½º!! (±Ç¸®ºÐ¼® + ½Ã¼¼Á¶»ç + ³«Âû°¡ »êÁ¤ + ÀÔÂûÇ¥ ÀÛ¼º¹æ¹ý ±îÁö)
ÃÖ´ë Àüü ÄÁ¼³ÆÃ ºñ¿ëÀÇ 10% ¼öÁØ !!

ÁÖÀÇ»çÇ× (ÃÖ¼±¼øÀ§ ¼³Á¤ÀÏ: 2009.09.11. ±ÙÀú´ç±Ç ¼³Á¤)

¸Å°¢À¸·Î ¼Ò¸êµÇÁö ¾Ê´Â µî±âºÎ±Ç¸®:
¸Å°¢À¸·Î ¼³Á¤µÈ °ÍÀ¸·Î º¸´Â Áö»ó±Ç:
2025.08.22 ä±ÇÀÚ °­OOOOO OOOO ±âÀÏ¿¬±â½Åû Á¦Ãâ
-Àϰý¸Å°¢. Á¦½Ã¿Ü °Ç¹° Æ÷ÇÔ -¸ñ·Ï2. 1ÃþÀÇ ½ÇÁ¦¸éÀûÀº "71.3§³"ÀÌ¸ç ºÎ¼Ó°Ç¹°ÀÇ ÇöȲÀº È­Àå½ÇÀÓ
¡Ø¹Ì³³°ü¸®ºñ(°ø¿ë) Àμö¿©ºÎ¸¦ ÀÔÂû Àü¿¡ È®ÀÎÇϽñ⠹ٶø´Ï´Ù

 

Áö¿ªºÐ¼®

ÁöÇÏö¸í Á÷¼±°Å¸®

Çб³¸í ÀüÈ­¹øÈ£ ÁÖ¼Ò Á÷¼±°Å¸®

¹ý¿ø

ÃáõÁö¹æ¹ý¿ø °­¸ªÁö¿ø (254-63)°­¿øµµ °­¸ª½Ã µ¿ÇØ´ë·Î 3288-18 (³­°îµ¿)
´ëÇ¥ : 033)640-1000, ¾ß°£ : 033)640-1199
°üÇÒÁö¿ª : °­¸ª½Ã, µ¿ÇؽÃ, »ïô½Ã

µî±â¼Ò ÃáõÁö¹æ¹ý¿ø °­¸ªÁö¿ø µî±â°ú (´ëÇ¥:1544-0773, ÆÑ½º:(033)647-5110, °­¿øµµ °­¸ª½Ã µ¿ÇØ´ë·Î 3288-18 (³­°îµ¿ 117-1))
¼¼¹«¼­ °­¸ª¼¼¹«¼­ (´ëÇ¥:033-610-92, ÆÑ½º:033-641-4186, °­¿øµµ °­¸ª½Ã ¼ö¸®°ñ±æ 65 (±³µ¿))

Àαٳ«ÂûÅë°è

±â°£ ¸Å°¢°Ç¼ö Æò±Õ°¨Á¤°¡
Æò±Õ¸Å°¢°¡
¸Å°¢°¡À²
Æò±ÕÀ¯Âû¼ö
3°³¿ù 1°Ç 359,949,100¿ø
200,000,000¿ø
56%
5ȸ
6°³¿ù 3°Ç 378,508,887¿ø
248,166,667¿ø
63%
2.7ȸ
12°³¿ù 7°Ç 344,504,111¿ø
243,883,000¿ø
70%
1.7ȸ


º» °æ¸ÅÁ¤º¸´Â ¹ý¿øÀÚ·á¿Í ÀÏÄ¡Çϵµ·Ï ÇÏ¿´À¸³ª ±Ç¸®»çÇ׺¯µ¿, ÀÔ·ÂÂø¿À µîÀÇ ¿øÀÎÀ¸·Î »ç½Ç°ú ´Ù¸¦ ¼ö ÀÖ½À´Ï´Ù. ÀÌ¿ë¾à°ü¿¡ ÀǰЏéÃ¥Á¶°ÇÀ¸·Î Á¦°øµÊÀ» ¾Ë¸®¸ç, °æ¸ÅÀÔÂû½Ã ¹Ýµå½Ã °ü·Ã °øºÎ¸¦ ÀçÈ®ÀÎÇϽñ⠹ٶø´Ï´Ù. º¸´Ù Æí¸®ÇÑ °æ¸ÅÁ¤º¸ Á¦°øÀ» À§ÇØ Áö¼ÓÀûÀ¸·Î °³¼±ÇϰڽÀ´Ï´Ù. ÀÌ¿ëÇØ Áּż­ °¨»çÇÕ´Ï´Ù.
°ü½É¹°°ÇÀ¸·Î µî·ÏÇÕ´Ï´Ù