43
´ëÁö
±¤ÁÖÁö¹æ¹ý¿ø
 °¨Á¤°¡1,057,080,000 ¿ø
 ÃÖÀú°¡(70%) 739,956,000 ¿ø
 º¸Áõ±Ý(10%) 73,995,600 ¿ø
 Ã»±¸¾×815,060,856 ¿ø
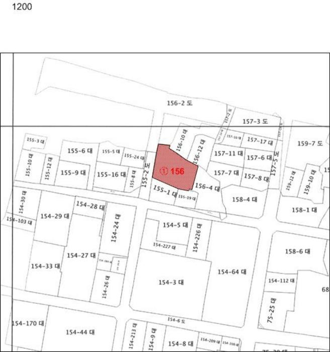
±¤ÁÖ±¤¿ª½Ã µ¿±¸ µ¿¸íµ¿ 156
»ç°Ç¹øÈ£ 2024Ÿ°æ70433
°æ¸ÅÁ¾·ùºÎµ¿»êÀÓÀǰæ¸Å
¸Å°¢´ë»óÅäÁö¸Å°¢
¸Å°¢±âÀÏ    2025.12.12(±Ý) 10:00    
ÅäÁö¸éÀû383.00§³(115.86 Æò)
°Ç¹°¸éÀû
乫/¼ÒÀ¯ÀÚÁÖOOO OOOO / ÁÖOOO OOOO
ä±ÇÀÚ¼­OOOOOOO
±è¼ºÈÆ ´ëÇ¥ÀÌ»ç
°øÀÎÁß°³»ç, ºÎµ¿»ê°ø°æ¸Å»ç, ÇѾç´ëÇб³ Á¹¾÷
Àü) ÅÂÀÎÄÁ¼³ÆÃ(ÁÖ) ´ëÇ¥ÀÌ»ç
Àü) ¿©ÀÇÁֺε¿»êÁß°³¹ýÀÎ(ÁÖ) ´ëÇ¥ÀÌ»ç
Çö) ¿©ÀÇÁÖ°æ¸Å¹ýÀÎ ´ëÇ¥ÀÌ»ç
010-2371-3237
ÆäÀ̽ººÏ Æ®À§ÅÍ ±¸±Û+
īī¿À½ºÅ丮
īī¿ÀÅå sms¹®ÀÚº¸³»±â
 

±âÀϳ»¿ª

°æ°ú ³¯Â¥ Àú°¨ ÃÖÀú°¡ °á°ú
Á¢¼öÀÏ 2024-05-07 °æ¸ÅÁ¢¼ö
~10ÀÏ 
2024-05-17 °æ¸Å°³½Ã°áÁ¤
~93ÀÏ 
2024-08-08 ¹è´ç¿ä±¸Á¾±âÀÏ
~290ÀÏ 
2025-02-21 100%
1,057,080,000
À¯Âû
~332ÀÏ 
2025-04-04 70%
739,956,000
º¯°æ
~500ÀÏ 
2025-09-19 70%
739,956,000
º¯°æ
~584ÀÏ 
2025-12-12 70%
739,956,000
¸Å°¢
³«Âû°¡ 815,000,000 (77%)
¹°°Ç¸í¼¼¼­ ÇöȲÁ¶»ç¼­ ¹®°ÇÁ¢¼ö ¼Û´Þ³»¿ª

°¨Á¤Æò°¡ÇöȲ

¸ñ·Ï ÁÖ¼Ò ±¸Á¶/¿ëµµ/´ëÁö±Ç ¸éÀû ºñ°í
ÅäÁö
µ¿¸íµ¿ 156 ´ëÁö 383 §³
(115.86Æò)
1) À§Ä¡/µµ½ÃÁö¿ª/±Ù¸°»ó¾÷Áö¿ª ´õº¸±â
°¨Á¤Æò°¡ ¿äÇ×Ç¥
1)À§Ä¡ ¹× ÁÖÀ§È¯°æ
º»°ÇÀº ±¤ÁÖ±¤¿ª½Ã µ¿±¸ µ¿¸íµ¿ ¼ÒÀç "µ¿¸íµ¿ ÇàÁ¤º¹Áö¼¾ÅÍ" ºÏ¼­Ãø Àαٿ¡ À§Ä¡Çϸç,
ÁÖº¯Àº ´Üµ¶ÁÖÅÃ, ±Ù¸°»ýȰ½Ã¼³ µîÀÌ È¥ÀçÇÑ ÁÖÅà ¹× »ó°¡È¥¿ëÁö´ë·Î ÁÖÀ§È¯°æÀº º¸Åë½ÃµÊ.
2)±³Åë»óȲ
º»°Ç±îÁö Â÷·®Á¢±Ù °¡´ÉÇϸç, Á¦¹Ý ±³Åë»çÁ¤Àº º¸Åë½ÃµÊ.
3)ÇüÅ ¹× ÀÌ¿ë»óÅÂ
ÆòÁö´ë³» »ç´Ù¸®ÇüÀÇ ÅäÁö·Î, ÁְųªÁö·Î ÀÌ¿ëÁßÀÓ.
4)ÀÎÁ¢ µµ·Î»óÅÂ
º»°Ç ¼­ÃøÀ¸·Î ³ëÆø ¾à 4¹ÌÅÍÀÇ Æ÷Àåµµ·Î°¡ °³¼³µÇ¾î ÀÖÀ½.
5)ÅäÁöÀÌ¿ë°èȹ ¹× Á¦ÇÑ»óÅÂ
±Ù¸°»ó¾÷Áö¿ª, µµ½ÃÁö¿ª, ¼Ò·Î3·ù(Á¢ÇÕ), °¡·Î±¸¿ªº° ÃÖ°í³ôÀÌ Á¦ÇÑÁö¿ª,
ÁßÁ¡°æ°ü°ü¸®±¸¿ª, ÀüÅë»ó¾÷ºÎÁ¸±¸¿ªÀÓ.
6)Á¦½Ã¸ñ·Ï ¿ÜÀÇ ¹°°Ç
¾øÀ½.
7)°øºÎ¿ÍÀÇ Â÷ÀÌ
¾øÀ½.
8)±âŸÂü°í»çÇ×(ÀÓ´ë°ü·Ê ¹× ±âŸ)
ÀÓ´ë°ü°è´Â ¹Ì»óÀÓ.
Âü°í
»çÇ×
ÁְųªÁöÀÓ


±¹ÅäºÎ½Ç°Å·¡°¡ ±¤ÁÖ±¤¿ª½Ã µ¿±¸ µ¿¸íµ¿

°è¾àÀÏÁö¸ñ¿ëµµÁö¿ªµµ·Î°è¾à¸éÀû±Ý¾×±¸ºÐ
25.09.10´ëÁ¦2Á¾ÀϹÝÁÖ°Å8m¹Ì¸¸607,700
25.09.10µµ·ÎÁ¦2Á¾ÀϹÝÁÖ°Å8m¹Ì¸¸5.1170
25.09.10µµ·ÎÁ¦2Á¾ÀϹÝÁÖ°Å8m¹Ì¸¸7270
25.06.16µµ·ÎÁ¦2Á¾ÀϹÝÁÖ°Å8m¹Ì¸¸317,502
24.11.10´ëÁ¦2Á¾ÀϹÝÁÖ°Å-24.23,412
¢Ñ ´õº¸±â

µî±âºÎµîº» ¿ä¾à(ÅäÁö)

  Á¢¼öÀÏÀÚ µî±â¸ñÀû/±Ç¸®ÀÚ ±Ç¸®±Ý¾× ±âÁØ
1 2020³â6¿ù30ÀÏ
¼ÒÀ¯±Ç
(OOOO
¼Ò¸ê
2 2022³â5¿ù19ÀÏ
±ÙÀú´ç±Ç
ÄÉOOOO
960,000,000 ¼Ò¸ê±âÁØ
3 2022³â5¿ù19ÀÏ
Áö»ó±Ç
¼­OOOO
¼Ò¸ê
4 2024³â5¿ù17ÀÏ
ÀÓÀǰæ¸Å
¼­OOOO
¼Ò¸ê
5 2024³â6¿ù14ÀÏ
°¡¾Ð·ù
±¤OOOO
100,000,000 ¼Ò¸ê

ÀÓÂ÷ÀÎÇöȲ (¹è´ç¿ä±¸Á¾±âÀÏ: 2024-08-08)


Á¶»çµÈ ÀÓÂ÷³»¿ªÀÌ ¾ø½À´Ï´Ù


¿©ÀÇÁÖ°æ¸Å Á¶¾ð ÇÑ ¸¶µð

³«Âû ÈÄ¿¡ µî±âºÎ»ó ¼Ò¸êµÇÁö ¾Ê´Â ±Ç¸®´Â ¾ø½À´Ï´Ù.
´ë·«ÀûÀÎ °ËÅäÀǰßÀ̹ǷΠÀÔÂûÀü¿¡ Àü¹®°¡ÀÇ Á¶¾ðÀ» Âü°íÇØ º¸½Ã±æ ±ÇÇØµå¸³´Ï´Ù.
°¨Á¤ ½ÃÁ¡ÀÌ ¿À·¡µÇ¾î °¡°Ýº¯µ¿ÀÌ ÀÖÀ» ¼ö ÀÖ½À´Ï´Ù.
ÀÌ ¹°°ÇÀº 2024³â 5¿ù 17ÀÏ¿¡ °æ¸Å°¡ °³½ÃµÇ¾ú´Âµ¥ Áö±Ý ½ÃÁ¡À¸·Î ¾à 575ÀÏÀÌ ÀÌ °æ°úµÇ¾ú½À´Ï´Ù. °¨Á¤°¡°ÝÀº 575ÀÏ Àü ½ÃÁ¡¿¡¼­ Æò°¡ÇÑ °¡°ÝÀ̹ǷΠ±× »çÀÌ °¡°Ýº¯µ¿ÀÌ ÀÖÀ» ¼ö ÀÖ½À´Ï´Ù. ƯÈ÷ °¡°Ý º¯µ¿ÀÌ ½ÉÇÑ ¾ÆÆÄÆ®´Â À¯ÀÇÇÏ¼Å¾ß ÇÕ´Ï´Ù. °¨Á¤°¡°ÝÀ» ³Ê¹« ¹ÏÁö ¸¶½Ã°í ÇöÀç ½Ç¸Å¹° °¡°Ý°ú ½Ç°Å·¡°¡¸¦ È®ÀÎÇϽñ⠹ٶø´Ï´Ù.
°£È¤ °¨Á¤°¡°Ýº¸´Ù ³ô°Ô ³«ÂûµÇ´Â °æ¿ì°¡ Àִµ¥ ´ëºÎºÐ ÀÌ·± ÀÌÀ¯ÀÔ´Ï´Ù.
¡Ø ¹°°Ç Ű¿öµå : µµ½ÃÁö¿ª/»ó¾÷Áö¿ª/±Ù¸°»ó¾÷Áö¿ª
Àüü ÄÁ¼³ÆÃÀÌ ºÎ´ã½º·¯¿ì½Å°¡¿ä? ±Ç¸®ºÐ¼®¸¸ ÀÇ·ÚÇϼŵµ ±¦Âú½À´Ï´Ù!
½Ç¼Ó ÀÖ°Ô Çٽɸ¸ ´ãÀº ±Ç¸®ºÐ¼® ¼­ºñ½º!! (±Ç¸®ºÐ¼® + ½Ã¼¼Á¶»ç + ³«Âû°¡ »êÁ¤ + ÀÔÂûÇ¥ ÀÛ¼º¹æ¹ý ±îÁö)
ÃÖ´ë Àüü ÄÁ¼³ÆÃ ºñ¿ëÀÇ 10% ¼öÁØ !!

ÁÖÀÇ»çÇ× (ÃÖ¼±¼øÀ§ ¼³Á¤ÀÏ: 2022.5.19.±ÙÀú´ç±Ç ¼³Á¤)

¸Å°¢À¸·Î ¼Ò¸êµÇÁö ¾Ê´Â µî±âºÎ±Ç¸®:
¸Å°¢À¸·Î ¼³Á¤µÈ °ÍÀ¸·Î º¸´Â Áö»ó±Ç:
2025.09.11 ½Â°èÀÎ ÄÉOOOOOOOO OOOO ±âÀÏ¿¬±â½Åû Á¦Ãâ
ÁְųªÁöÀÓ
¡Ø¹Ì³³°ü¸®ºñ(°ø¿ë) Àμö¿©ºÎ¸¦ ÀÔÂû Àü¿¡ È®ÀÎÇϽñ⠹ٶø´Ï´Ù

 

Áö¿ªºÐ¼®

ÁöÇÏö¸í Á÷¼±°Å¸®

Çб³¸í ÀüÈ­¹øÈ£ ÁÖ¼Ò Á÷¼±°Å¸®

¹ý¿ø

±¤ÁÖÁö¹æ¹ý¿ø (614-41)±¤ÁÖ±¤¿ª½Ã µ¿±¸ Áعý·Î 7-12(Áö»ê2µ¿)
´ëÇ¥ : 062)239-1114
°üÇÒÁö¿ª : ±¤ÁÖ±¤¿ª½Ã, ³ªÁÖ½Ã, È­¼ø±º, À强±º, ´ã¾ç±º, °î¼º±º, ¿µ±¤±º

µî±â¼Ò ±¤ÁÖÁö¹æ¹ý¿ø º»¿ø µî±â±¹ (´ëÇ¥:1544-0773, ÆÑ½º:(062)381-0856, 381-0876, ±¤ÁÖ±¤¿ª½Ã ¼­±¸ ½Ãû·Î 106 (Ä¡Æòµ¿ 1205))
¼¼¹«¼­ ±¤ÁÖ¼¼¹«¼­ (´ëÇ¥:062-605-02, ÆÑ½º:062-716-7232, ±¤ÁÖ±¤¿ª½Ã µ¿±¸ Áß¾Ó·Î 154 (È£³²µ¿))

Àαٳ«ÂûÅë°è

±â°£ ¸Å°¢°Ç¼ö Æò±Õ°¨Á¤°¡
Æò±Õ¸Å°¢°¡
¸Å°¢°¡À²
Æò±ÕÀ¯Âû¼ö
3°³¿ù 0°Ç 0¿ø
0¿ø
0%
0ȸ
6°³¿ù 0°Ç 0¿ø
0¿ø
0%
0ȸ
12°³¿ù 1°Ç 570,235,000¿ø
285,501,400¿ø
50%
3ȸ


º» °æ¸ÅÁ¤º¸´Â ¹ý¿øÀÚ·á¿Í ÀÏÄ¡Çϵµ·Ï ÇÏ¿´À¸³ª ±Ç¸®»çÇ׺¯µ¿, ÀÔ·ÂÂø¿À µîÀÇ ¿øÀÎÀ¸·Î »ç½Ç°ú ´Ù¸¦ ¼ö ÀÖ½À´Ï´Ù. ÀÌ¿ë¾à°ü¿¡ ÀǰЏéÃ¥Á¶°ÇÀ¸·Î Á¦°øµÊÀ» ¾Ë¸®¸ç, °æ¸ÅÀÔÂû½Ã ¹Ýµå½Ã °ü·Ã °øºÎ¸¦ ÀçÈ®ÀÎÇϽñ⠹ٶø´Ï´Ù. º¸´Ù Æí¸®ÇÑ °æ¸ÅÁ¤º¸ Á¦°øÀ» À§ÇØ Áö¼ÓÀûÀ¸·Î °³¼±ÇϰڽÀ´Ï´Ù. ÀÌ¿ëÇØ Áּż­ °¨»çÇÕ´Ï´Ù.
°ü½É¹°°ÇÀ¸·Î µî·ÏÇÕ´Ï´Ù